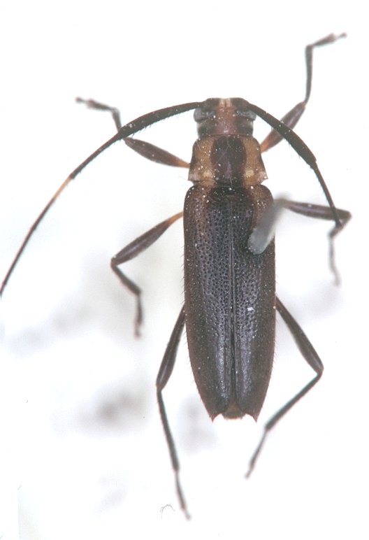
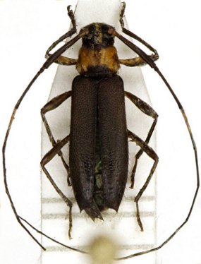
_Bates_MNHN_FTH_=_Lepturgotrichona.jpg)
Lepturges flaviceps Bates Specimen Type: holotype Sex: f Institution: MNHN Museum of Natural History Paris, France Collection Location: Para, Brazil 17134
|
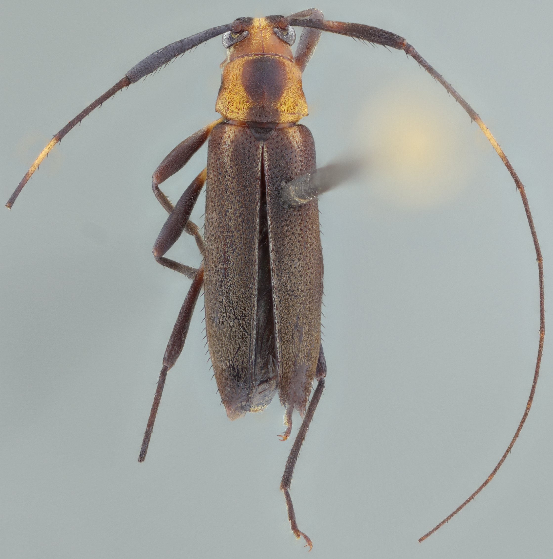
_Bates_MNHN_JAC_Para_Brazil_=_Lepturgotrichona.jpg)
Lepturges flaviceps Bates Specimen Type: holotype Sex: f Institution: MNHN Museum of Natural History Paris, France Photographer: John Chemsak Collection Location: Para, Brazil 22908
|
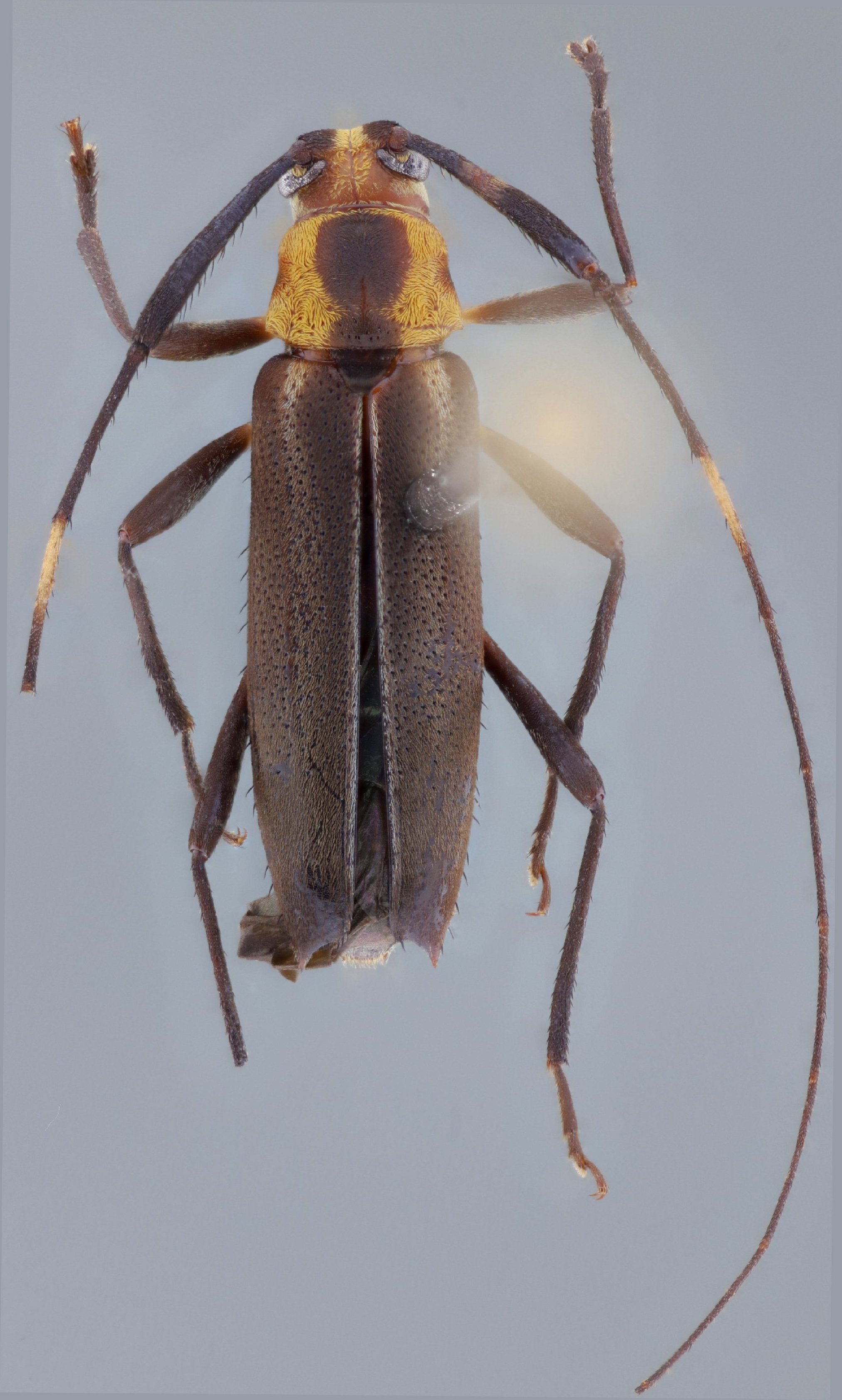
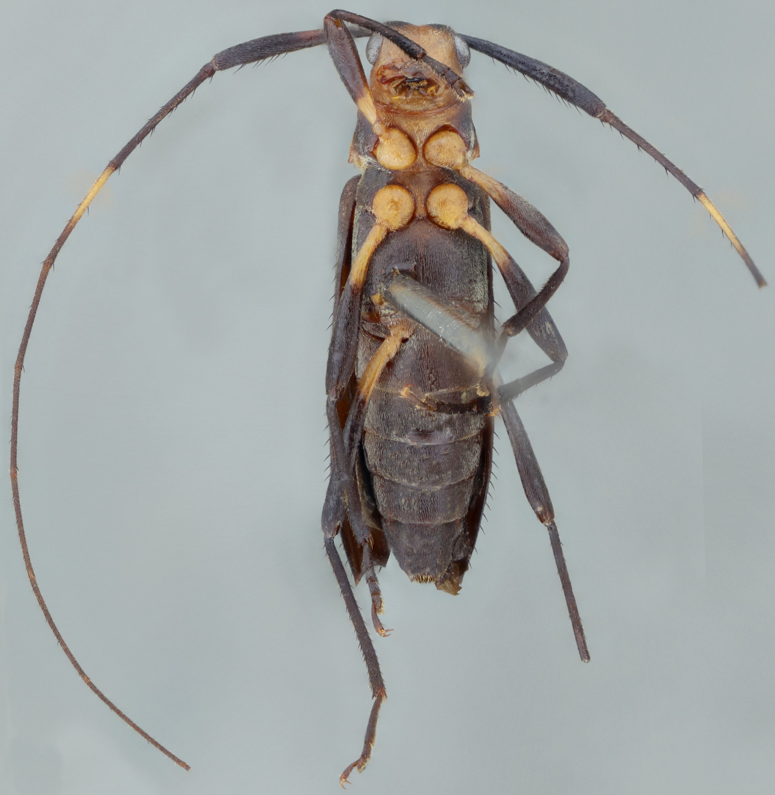
 Bates MNHN Para, Brazil now Pseudosparna Moure.jpg)
Lepturges flaviceps Bates Specimen Type: holotype Sex: f Institution: MNHN Museum of Natural History Paris, France Photographer: JS Moure Collection Location: Para, Brazil 100273
|
_Fr_Guiana_Faure.jpg)
Photographer: Denis Faure Collection Location: French Guiana 29303
|

Photographer: Jean-Louis Giuglaris Collection Location: Belizon, French Guiana 29304
|
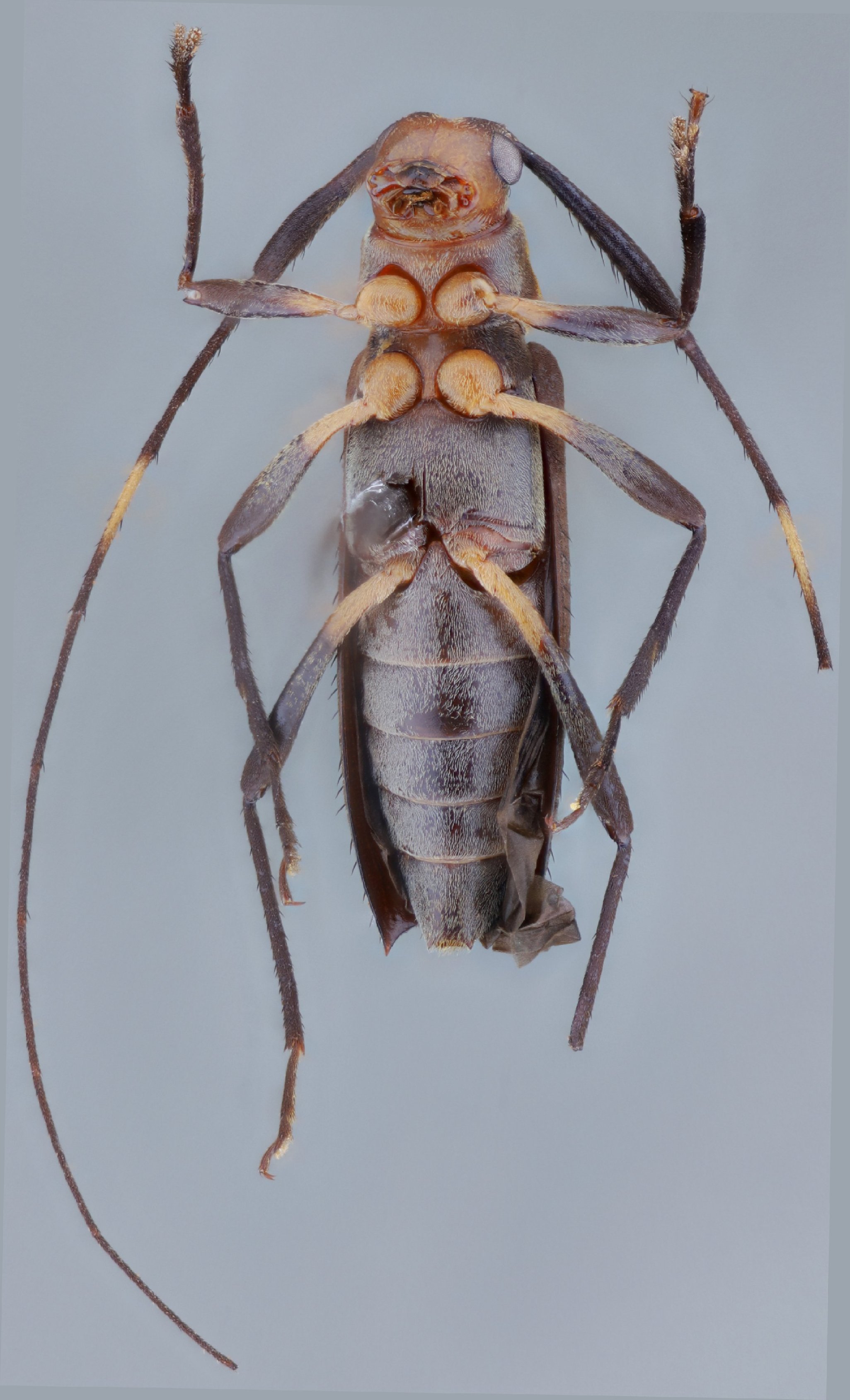
 (Bates) MZSP Reserva Ducke, Amazonas, Brazil SS.jpg)
Sex: f Institution: MZSP Museu de Zoologia da Universidade de São Paulo, Brazil Photographer: Antonio Santos-Silva Collection Location: Reserva Ducke, Amazonas, Brazil 95324
|
 (Bates) MZSP Reserva Ducke, Amazonas, Brazil SS.jpg)
Sex: f Institution: MZSP Museu de Zoologia da Universidade de São Paulo, Brazil Photographer: Antonio Santos-Silva Collection Location: Reserva Ducke, Amazonas, Brazil 95325
|
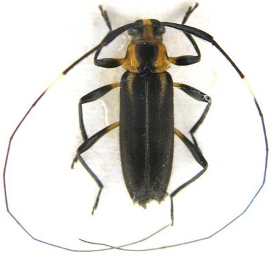
_LGB.jpg)
Photographer: Larry G. Bezark 9320
|
_Mermudes_and_Monne.jpg)
27200
|
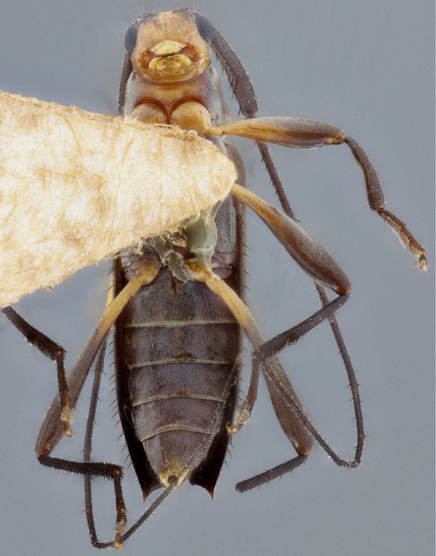
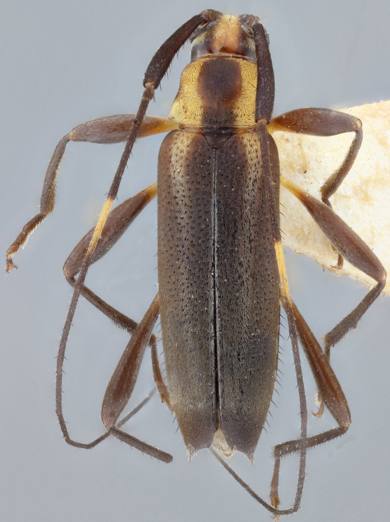
_(Bates)_SS.jpg)
Sex: m Institution: MZSP Museu de Zoologia da Universidade de São Paulo, Brazil Photographer: Antonio Santos-Silva Collection Location: Reserva Ducke, Amazonas, Brazil 66050
|
_(Bates)_SS.jpg)
Sex: m Institution: MZSP Museu de Zoologia da Universidade de São Paulo, Brazil Photographer: Antonio Santos-Silva Collection Location: Reserva Ducke, Amazonas, Brazil 66051
|
_(Bates)_SS.jpg)
Sex: m Institution: MZSP Museu de Zoologia da Universidade de São Paulo, Brazil Photographer: Antonio Santos-Silva Collection Location: Reserva Ducke, Amazonas, Brazil 66052
|
_(Bates)_SS.jpg)
Sex: m Institution: MZSP Museu de Zoologia da Universidade de São Paulo, Brazil Photographer: Antonio Santos-Silva Collection Location: Reserva Ducke, Amazonas, Brazil 66053
|
 Bates MZSP Reserva Ducke, Amazonas, Brazil SS.jpg)
Sex: f Institution: MZSP Museu de Zoologia da Universidade de São Paulo, Brazil Photographer: Antonio Santos-Silva Collection Location: Reserva Ducke, Amazonas, Brazil 80803
|
 Bates MZSP Reserva Ducke, Amazonas, Brazil SS.jpg)
Sex: f Institution: MZSP Museu de Zoologia da Universidade de São Paulo, Brazil Photographer: Antonio Santos-Silva Collection Location: Reserva Ducke, Amazonas, Brazil 80804
|