_Melzer_Costa_Rica_USNM_SWL.jpg)
Specimen Type: holotype Institution: NMNH United States National Museum, Washington, DC, USA Photographer: Steve Lingafelter Collection Location: Costa Rica 9275
|
_Melzer_MZSP_SWL.jpg)
Specimen Type: paratype Institution: MZSP Museu de Zoologia da Universidade de São Paulo, Brazil Photographer: Steve Lingafelter Collection Location: Costa Rica 9276
|
 Melzer MZSP Hamburg Farm, Limon, Costa Rica SS.jpg)
Specimen Type: paratype Sex: f Institution: MZSP Museu de Zoologia da Universidade de São Paulo, Brazil Photographer: Antonio Santos-Silva Collection Location: Hamburg Farm, Limon, Costa Rica 91011
|
 Melzer MZSP Hamburg Farm, Limon, Costa Rica SS.jpg)
Specimen Type: paratype Sex: m Institution: MZSP Museu de Zoologia da Universidade de São Paulo, Brazil Photographer: Antonio Santos-Silva Collection Location: Hamburg Farm, Limon, Costa Rica 91012
|
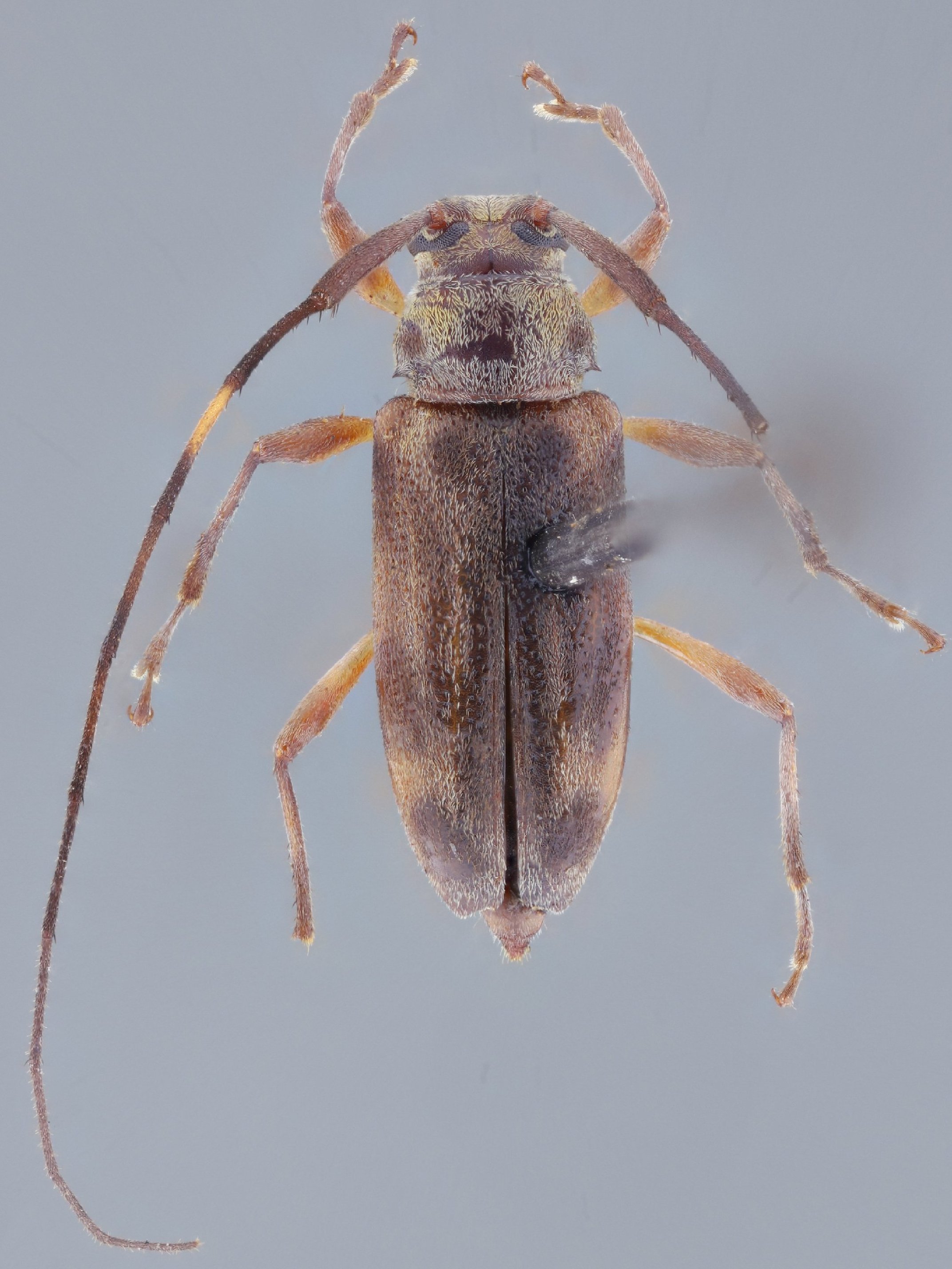
.jpg)
Institution: FTH Frank T. Hovore collection (now at California Academy of Sciences) Photographer: Larry G. Bezark Collection Location: 14 km N Pavones, Alahuela, Costa Rica 28197
|
|