
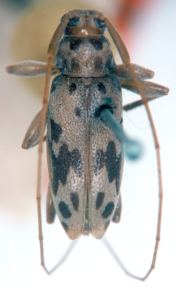
Liopus pictus LeConte Specimen Type: holotype Institution: MCZ Museum of Comparative Zoology, Harvard University, Cambridge, MA, USA Photographer: JS Moure Collection Location: Ohio 100328
|
_LeConte_MCZ_=_Lepturges.jpg)
Liopus pictus LeConte Specimen Type: holotype Institution: MCZ Museum of Comparative Zoology, Harvard University, Cambridge, MA, USA Photographer: P. Naskrecki, P. Perkins, and B. Farrell 1792
|
_LeConte_MCZ_=_Lepturges.jpg)
Liopus pictus LeConte Specimen Type: holotype Institution: MCZ Museum of Comparative Zoology, Harvard University, Cambridge, MA, USA Photographer: P. Naskrecki, P. Perkins, and B. Farrell 1789
|
_LeConte_MCZ_=_Lepturges.jpg)
Liopus pictus LeConte Specimen Type: holotype Institution: MCZ Museum of Comparative Zoology, Harvard University, Cambridge, MA, USA Photographer: P. Naskrecki, P. Perkins, and B. Farrell 1790
|
_LeConte_MCZ_=_Lepturges.jpg)
Liopus pictus LeConte Specimen Type: holotype Institution: MCZ Museum of Comparative Zoology, Harvard University, Cambridge, MA, USA Photographer: P. Naskrecki, P. Perkins, and B. Farrell 1791
|
_LGB.jpg)
Photographer: Larry G. Bezark 1723
|
|