_Bates_MNHN_FTH.jpg)
Specimen Type: holotype Institution: MNHN Museum of Natural History Paris, France Photographer: Frank T. Hovore 17149
|
 Bates MNHN Sao Paolo do Olivenca, Amazonas, Brazil Moure.jpg)
Specimen Type: holotype Sex: f Institution: MNHN Museum of Natural History Paris, France Photographer: JS Moure Collection Location: Sao Paolo de Olivenca, Amazonas, Brazil 100294
|
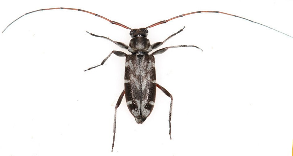
_Bates_ESALQ_Valentim_Gentil_Sao_Paolo_Brazil_SS, female.jpg)
Sex: f Institution: ESALQ Escola Superior Agricola Luis Queiroz, Piracicaba, Sao Paolo, Brazil Photographer: Antonio Santos-Silva Collection Location: Valentim Gentil, Sao Paolo, Brazil 70669
|

Photographer: Jim McClarin Collection Location: Cosanga, Napo, Ecuador 77402
|
|