 Bates BMNH Chontales, Nicaragua Moure.jpg)
Specimen Type: syntype Institution: BMNH British Museum Natural History, London, UK Photographer: JS Moure Collection Location: Chontales, Nicaragua 21576
|
_Bates_BMNH_Chontales_Nicaragua_LGB.jpg)
Specimen Type: syntype Institution: BMNH British Museum Natural History, London, UK Photographer: Larry G. Bezark Collection Location: Chontales, Nicaragua 9147
|
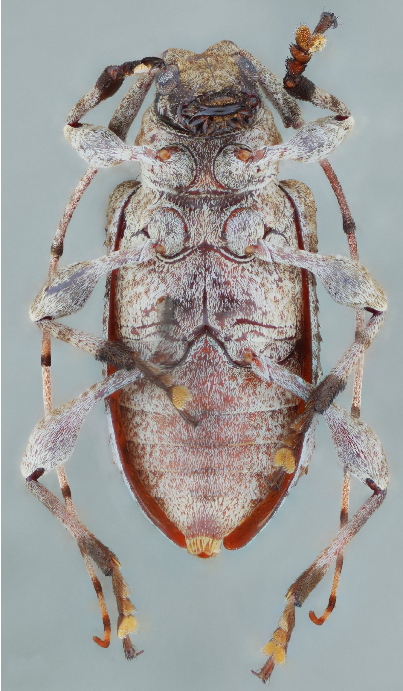
 Bates FSCA Masicaran Quarry, vic Zamorano, Francisco Morazan, Honduras SS.jpg)
Sex: f Institution: FSCA Florida State Collection of Arthropods, Gainesville, FL, USA Photographer: Antonio Santos-Silva Collection Location: Masicaran Quarry, vic Zamorano, Francisco Morazan, Honduras 89894
|
 Bates FSCA Masicaran Quarry, vic Zamorano, Francisco Morazan, Honduras SS.jpg)
Sex: f Institution: FSCA Florida State Collection of Arthropods, Gainesville, FL, USA Photographer: Antonio Santos-Silva Collection Location: Masicaran Quarry, vic Zamorano, Francisco Morazan, Honduras 89895
|
 Bates FSCA Masicaran Quarry, vic Zamorano, Francisco Morazan, Honduras SS.jpg)
Sex: f Institution: FSCA Florida State Collection of Arthropods, Gainesville, FL, USA Photographer: Antonio Santos-Silva Collection Location: Masicaran Quarry, vic Zamorano, Francisco Morazan, Honduras 89896
|
 Bates FSCA Masicaran Quarry, vic Zamorano, Francisco Morazan, Honduras SS.jpg)
Sex: f Institution: FSCA Florida State Collection of Arthropods, Gainesville, FL, USA Photographer: Antonio Santos-Silva Collection Location: Masicaran Quarry, vic Zamorano, Francisco Morazan, Honduras 89897
|

Institution: UCB Essig Museum of Entomology, Berkeley, California, USA Photographer: Larry G. Bezark Determiner: Miguel Monne Collection Location: Tehuantepec, Oaxaca, Mexico 9148
|
|