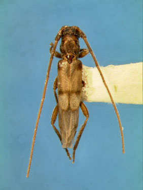
_Fisher_USNM_JAC_=_Methia_necydalea.jpg)
Methia pallida Fisher Specimen Type: holotype Sex: m Institution: NMNH United States National Museum, Washington, DC, USA Photographer: John Chemsak Collection Location: Port au Prince, Haiti 20513
|
_Fisher_Haiti_USNM_SWL_=_Methia_necydalea_(Fabr.).jpg)
Methia pallida Fisher Specimen Type: holotype Sex: m Institution: NMNH United States National Museum, Washington, DC, USA Photographer: Steve Lingafelter Collection Location: Port au Prince, Haiti 9963
|
_Chemsak_and_Linsley_Mexico_USNM_SWL_=_Methia_necydalea_(Fabr.).jpg)
Methia pulchra Chemsak & Linsley Specimen Type: holotype Sex: f Institution: NMNH United States National Museum, Washington, DC, USA Photographer: Steve Lingafelter Collection Location: Celarain Point, Cozumel Island, Quintana Roo, Mexico 9966
|
_Chemsak_and_Feller_Belize_USNM_SWL_=_Methia_necydalea_(Fabr.).jpg)
Methia rhizophorae Chemsak & Feller Specimen Type: holotype Sex: f Institution: NMNH United States National Museum, Washington, DC, USA Photographer: Steve Lingafelter Collection Location: Twin Cays, Belize 9967
|
_Chemsak_and_Linsley_USNM_JAC_=_Methia_necydalea.jpg)
Methia pulchra Chemsak & Linsley Specimen Type: holotype Sex: f Institution: NMNH United States National Museum, Washington, DC, USA Photographer: John Chemsak Collection Location: Celarain Point, Cozumel Island, Quintana Roo, Mexico 20517
|
_Schaeffer_USNM_=_M._necydalea_(Fabr.).jpg)
Methia constricticollis Schaeffer Specimen Type: holotype Institution: NMNH United States National Museum, Washington, DC, USA Photographer: Steve Lingafelter Collection Location: Brownsville, Texas 1937
|
_Chemsak_Virgin_Islands_USNM_SWL_=_Methia_necydalea_(Fabr.).jpg)
Methia impressicollis Chemsak Specimen Type: holotype Sex: f Institution: NMNH United States National Museum, Washington, DC, USA Photographer: Steve Lingafelter Collection Location: Jost Van Dyke, Little Harbour, British Virgin Islands 9949
|
_Chemsak_British_Virgin_Islands_USNM_SWL_=_Methia_necydalea_(Fabr.).jpg)
Methia insularum Chemsak Specimen Type: holotype Sex: m Institution: NMNH United States National Museum, Washington, DC, USA Photographer: Steve Lingafelter Collection Location: Virgin Gorda, British Virgin Islands 9950
|
_Chemsak_and_Linsley_UCB_=_Methia_necydalea.jpg)
Methia pulchra Chemsak & Linsley Specimen Type: paratype Institution: UCB Essig Museum of Entomology, Berkeley, California, USA 20518
|
_Chemsak_and_Feller_UCB_=_Methia_necydalea.jpg)
Methia rhizophorae Chemsak & Feller Specimen Type: paratype Institution: UCB Essig Museum of Entomology, Berkeley, California, USA 20519
|
_Newman_BMNH_East_Florida_now_necydalea_LGB.jpg)
Thia pusilla Newman Specimen Type: lectotype Sex: m Institution: BMNH British Museum Natural History, London, UK Photographer: Larry G. Bezark Collection Location: Eastern Florida 47376
|
_LGB_replacement.jpg)
Photographer: Larry G. Bezark 3445
|
_LGB_replacement.jpg)
Photographer: Larry G. Bezark 3450
|
_Jamaica_Cahiers.jpg)
Determiner: Les Cahiers Magellanes Collection Location: Jamaica 9960
|
_FSCA.jpg)
Institution: FSCA Florida State Collection of Arthropods, Gainesville, FL, USA Photographer: Mike Thomas 1948
|
|