New Search Family, Subfamily and Tribe List

SubFamily Lamiinae

Tribe Acanthocinini
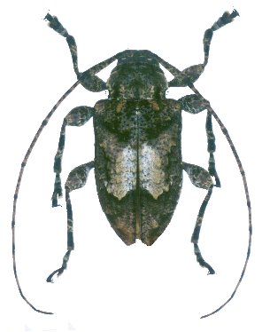
Leptostylopsis martinicensis Villiers 1980

Photographer: P. Deschamps
Collection Location: French Antilles
30404


22822


Photographer: Julien Touroult
22955


Photographer: Julien Touroult
22956

130425