_Melzer_MSZP_Rio_de_Janeiro_Brazil_SS.jpg)
Specimen Type: holotype Institution: MZSP Museu de Zoologia da Universidade de São Paulo, Brazil Photographer: Antonio Santos-Silva Collection Location: Itatiaia, Rio de Janeiro, Brazil 8967
|
 Montagne de Kaw, French Guiana Robin.jpg)
Sex: m Photographer: Frédéric Robin Collection Location: Montagne de Kaw, French Guiana 80811
|
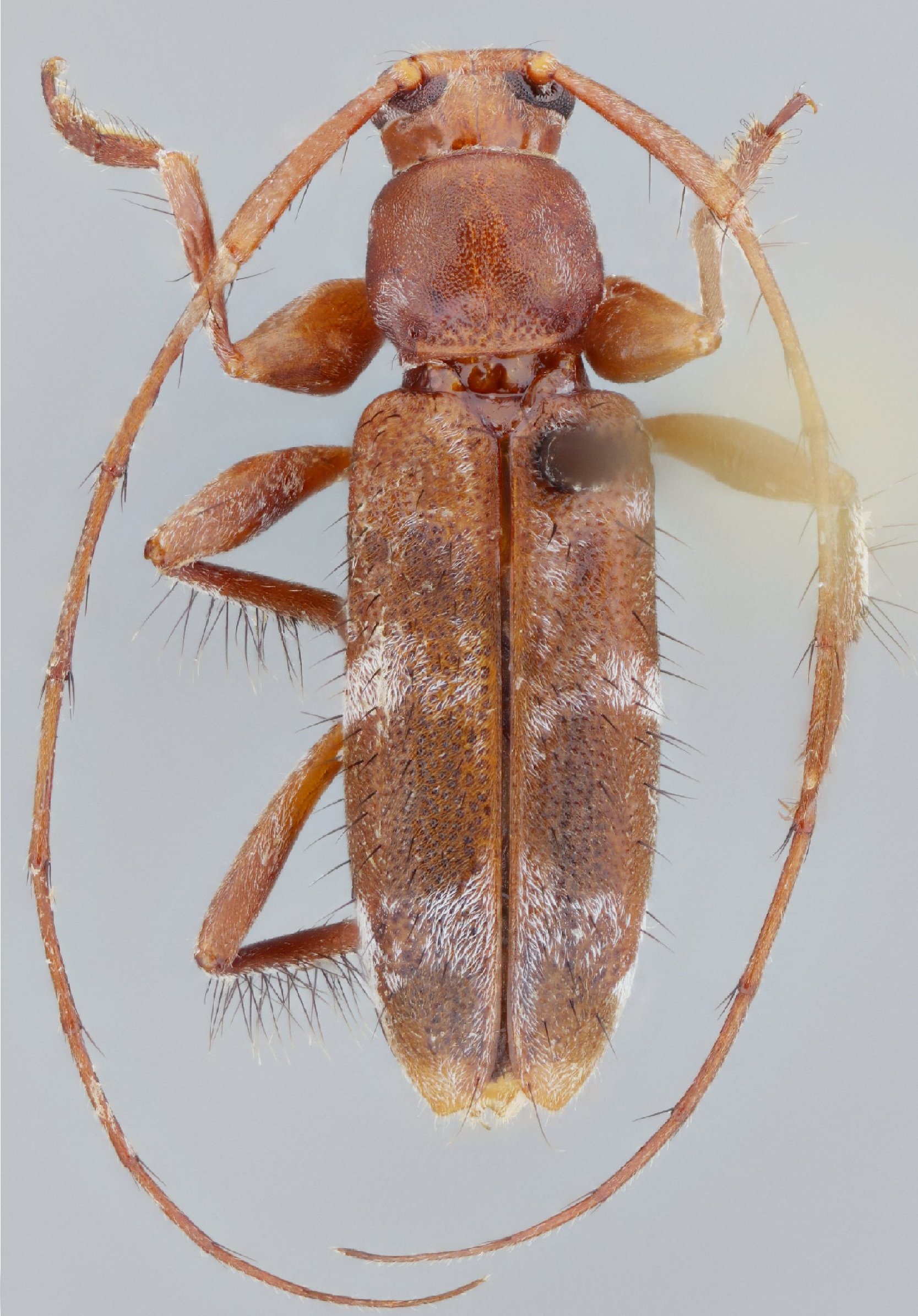
 Melzer MZSP Itatiaia, Rio de Janeiro, Brazil SS.jpg)
Sex: m Institution: MZSP Museu de Zoologia da Universidade de São Paulo, Brazil Photographer: Antonio Santos-Silva Collection Location: Itatiaia National Park, Rio de Janeiro, Brazil 89506
|
 Melzer MZSP Itatiaia, Rio de Janeiro, Brazil SS.jpg)
Sex: m Institution: MZSP Museu de Zoologia da Universidade de São Paulo, Brazil Photographer: Antonio Santos-Silva Collection Location: Itatiaia National Park, Rio de Janeiro, Brazil 89507
|
 Melzer MZSP Pojuca, Igarape, Serra Norte, Pará, Brazil SS.jpg)
Sex: m Institution: MZSP Museu de Zoologia da Universidade de São Paulo, Brazil Photographer: Antonio Santos-Silva Collection Location: Pojuca, Igarape, Serra Norte, Pará, Brazil 89305
|

Photographer: Jean-Louis Giuglaris Collection Location: Belizon, French Guiana 28848
|

Photographer: Alicia M. Hodson 42268
|

Institution: UCB Essig Museum of Entomology, Berkeley, California, USA Photographer: Larry G. Bezark Determiner: Monne 8968
|

Photographer: Denis Faure Collection Location: French Guiana 22025
|
_Melzer_SSA_Aracruz_ES_Brazil.jpg)
Sex: m Institution: Suzano Collection, Espirito Santo, Brazil Photographer: Antonio Santos-Silva Collection Location: Aracruz, Espirito Santo, Brazil 72857
|
|