_Bates_BMNH_Bugaba_Chiriqui_Pan_nowHyperpl_LGB.jpg)
Specimen Type: lectotype, paralect Sex: m Institution: BMNH British Museum Natural History, London, UK Photographer: Larry G. Bezark Collection Location: Bugaba, Chiriqui, Panama 46302
|
_Bates_BMNH_Bugaba_Chiriqui_Pan_nowHyperpl_LGB.jpg)
Specimen Type: lectotype, paralect Sex: m Institution: BMNH British Museum Natural History, London, UK Photographer: Larry G. Bezark Collection Location: Bugaba, Chiriqui, Panama 46303
|
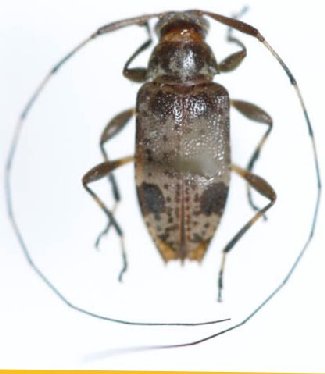
_(m)_Bates_BMNH_JAC_=_Hyperplatys_pusillus_nigrisparsus.jpg)
Anisopodus pusillus nigrisparsus Bates Specimen Type: lectotype, paralect Sex: m Institution: BMNH British Museum Natural History, London, UK Photographer: John Chemsak Collection Location: Bugaba, Chiriqui, Panama 15265
|
 Bates MNHN Bugaba, Chiriqui, Panama now Hyperpl Moure.jpg)
Anisopodus pusillus nigrisparsus Bates Specimen Type: syntypes Sex: m Institution: MNHN Museum of Natural History Paris, France Photographer: JS Moure Collection Location: Bugaba, Chiriqui, Panama 95367
|
_Melzer_MZSP_Hamburg_Farm_Limon_CR_Nasc.jpg)
Anisopodus varius Melzer Specimen Type: holotype Sex: m Institution: MZSP Museu de Zoologia da Universidade de São Paulo, Brazil Photographer: Antonio Santos-Silva Collection Location: Hamburg Farm, Limon, Costa, Rica 72116
|
_Melzer_MZSP_Hamburg_Farm_Limon_CR_Nasc.jpg)
Anisopodus varius Melzer Specimen Type: holotype Sex: m Institution: MZSP Museu de Zoologia da Universidade de São Paulo, Brazil Photographer: Antonio Santos-Silva Collection Location: Hamburg Farm, Limon, Costa, Rica 72117
|
_Melzer_MZSP_Hamburg_Farm_Limon_CR_Nasc.jpg)
Anisopodus varius Melzer Specimen Type: holotype Sex: m Institution: MZSP Museu de Zoologia da Universidade de São Paulo, Brazil Photographer: Antonio Santos-Silva Collection Location: Hamburg Farm, Limon, Costa, Rica 72118
|
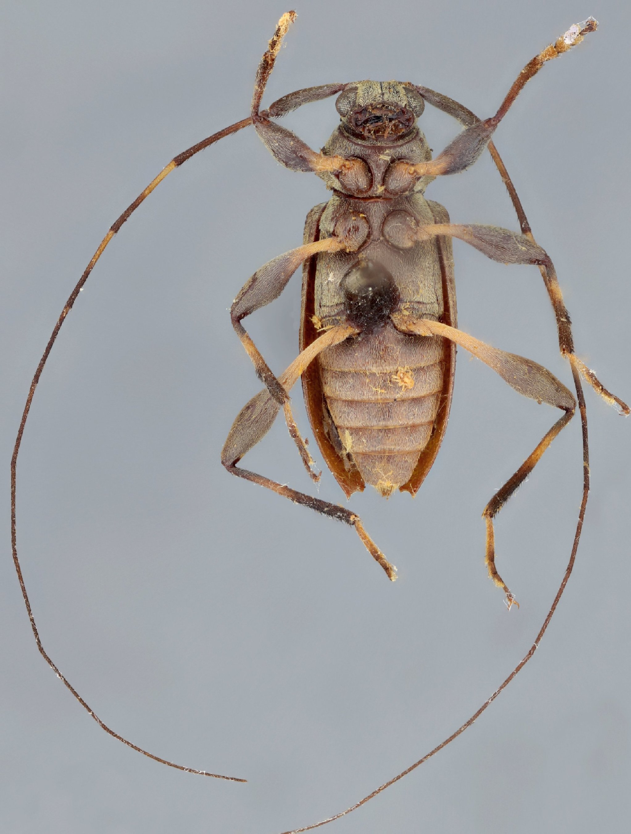
_Melzer_MZSP_SWL.jpg)
Anisopodus varius Melzer Specimen Type: syntype Institution: MZSP Museu de Zoologia da Universidade de São Paulo, Brazil Photographer: Steve Lingafelter Collection Location: Hamburg Farm, Reventazón, Ebene Limón, Costa Rica 4574
|

Anisopodus varius Melzer Institution: UCB Essig Museum of Entomology, Berkeley, California, USA Photographer: Larry G. Bezark Determiner: Miguel Monne 4575
|
_LGB.jpg)
Institution: LGBC Larry G. Bezark Collection, Sacramento, California, USA Photographer: Larry G. Bezark Collection Location: Monteverde Cloud Forest, Puntarenas, Costa Rica 8595
|

Photographer: Steve Lingafelter Determiner: maybe this species Collection Location: Nicaragua 25482
|
|