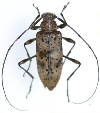
_Bates_BMNH_SantoDomingo_Chontales_Nic_LGB.jpg)
Specimen Type: lectotype Sex: f Institution: BMNH British Museum Natural History, London, UK Photographer: Larry G. Bezark Collection Location: Santo Domingo, Chontales, Nicaragua 20060
|
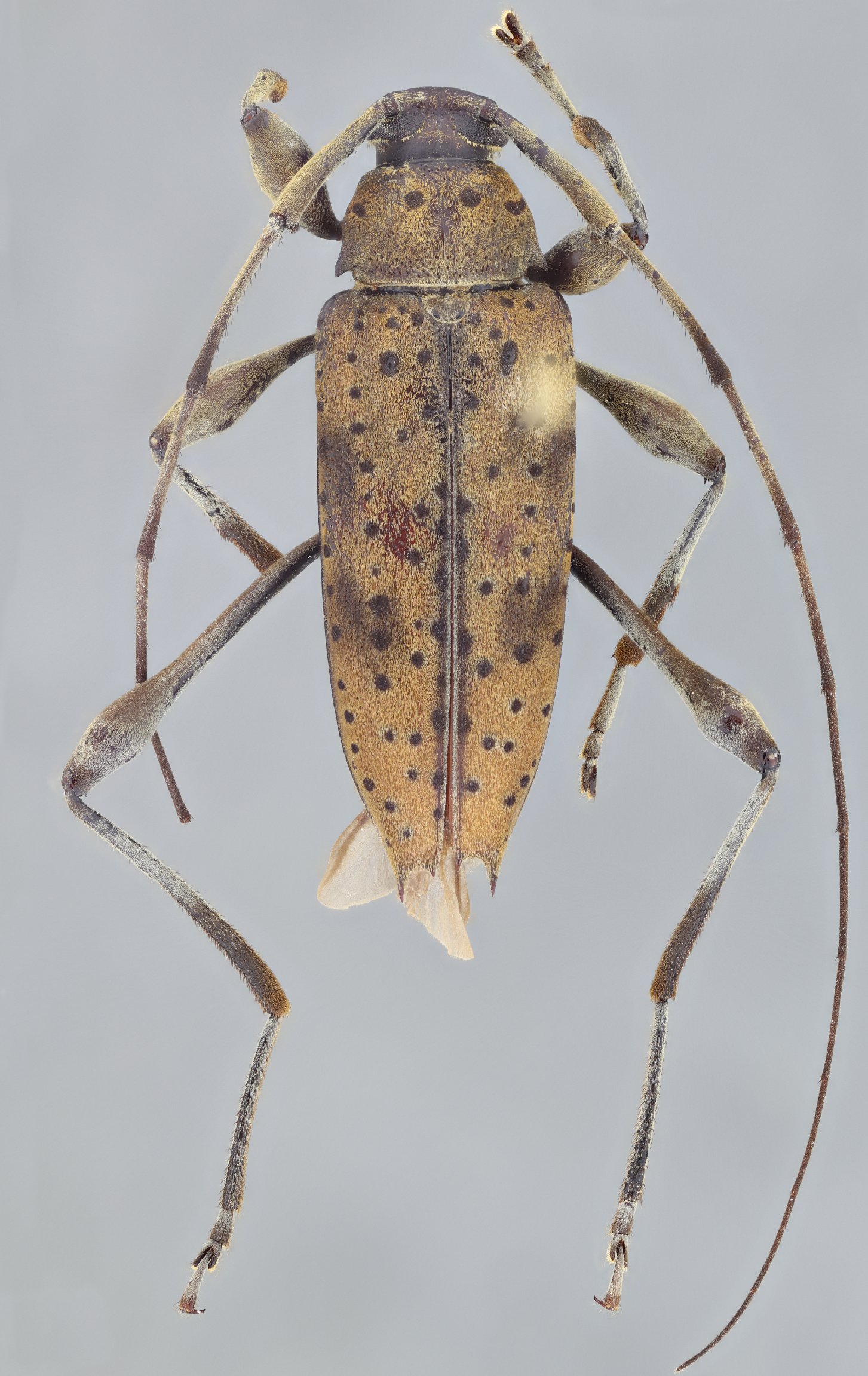
 Bates MNHN Santo Domingo, Chontales, Nicaragua Moure.jpg)
Specimen Type: syntype? Institution: MNHN Museum of Natural History Paris, France Photographer: JS Moure Collection Location: Santo Domingo, Chontales, Nicaragua 95352
|
_BCA_(as_Anisopodus).jpg)
Institution: BCA Biologia Centrali Americana 8585
|
_Bates_SS.jpg)
Sex: m Institution: MZSP Museu de Zoologia da Universidade de São Paulo, Brazil Photographer: Antonio Santos-Silva 72011
|
_Det_Monne_Costa_Rica_UCB.jpg)
Institution: UCB Essig Museum of Entomology, Berkeley, California, USA Determiner: Monne Collection Location: Costa Rica 20417
|
_Det_Turnbow_CAS.jpg)
Institution: CAS California Academy of Sciences, San Francisco, CA, USA Photographer: Larry G. Bezark Determiner: Turnbow 8586
|
_Dos_Rios_Alajuela_Costa_Rica_UCB_100148.jpg)
Institution: UCB Essig Museum of Entomology, Berkeley, California, USA Photographer: Larry G. Bezark Collection Location: Dos Rios, Alajuela, Costa Rica 8587
|

Photographer: Steve Lingafelter Collection Location: Nicaragua 25974
|
|