_Tippmann_Peru_USNM_SWL_=_Granastyochus.jpg)
Astyochus elegantissimus Tippmann Specimen Type: holotype Sex: m Institution: NMNH United States National Museum, Washington, DC, USA Photographer: Steve Lingafelter Collection Location: Rio Silvia, Ayacucho (La Mar), Peru 4788
|
_Tippmann_FTH_=_Granastyochus.jpg)
Astyochus elegantissimus Tippmann Specimen Type: paratype Photographer: Frank T. Hovore 21522
|
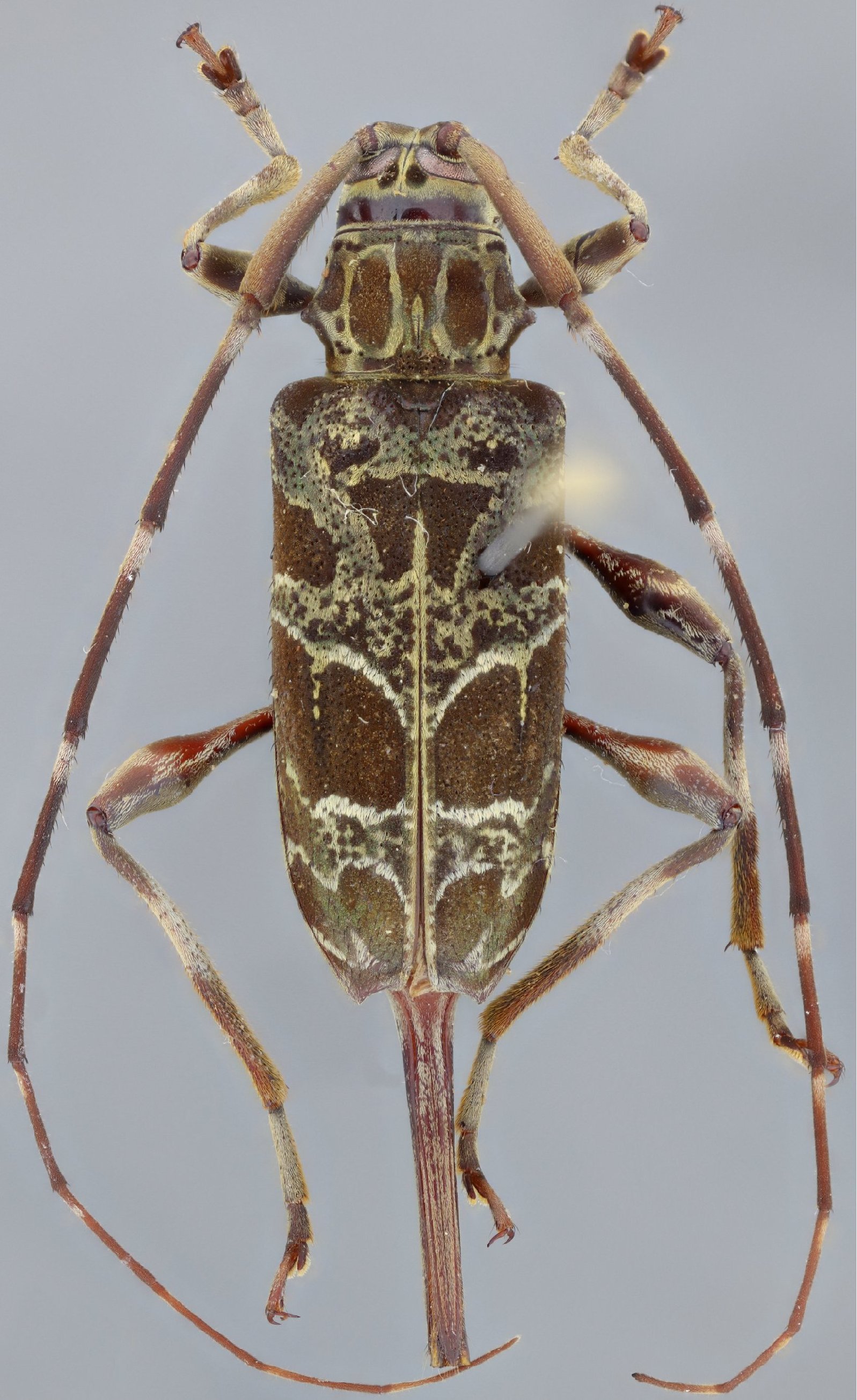
_Faure_French_Guiana.jpg)
Photographer: Denis Faure Collection Location: French Guiana 21943
|
 (Tippmann) Montage de Chevaux, Roura, French Guiana Robin.jpg)
Sex: m Photographer: Frédéric Robin Collection Location: Montage de Chevaux, Roura, French Guiana 96151
|
.jpg)
Institution: FTH Frank T. Hovore collection (now at California Academy of Sciences) Photographer: Larry G. Bezark Collection Location: 16km W Coca, Orellana Province, Ecuador 28160
|
_AM_Hodson.jpg)
Photographer: Alicia M. Hodson 42221
|
_(Tippmann)_MZSP_Peru_SS.jpg)
Sex: f Institution: MZSP Museu de Zoologia da Universidade de São Paulo, Brazil Photographer: Antonio Santos-Silva Collection Location: Peru 8112
|
_LGB.jpg)
Photographer: Larry G. Bezark 8113
|

Photographer: Larry G. Bezark 8121
|