_Lameere_IRSNB_Porto_Alegre_Braz_Mysteria_cyl_J_Pirkl_pic5.jpg)
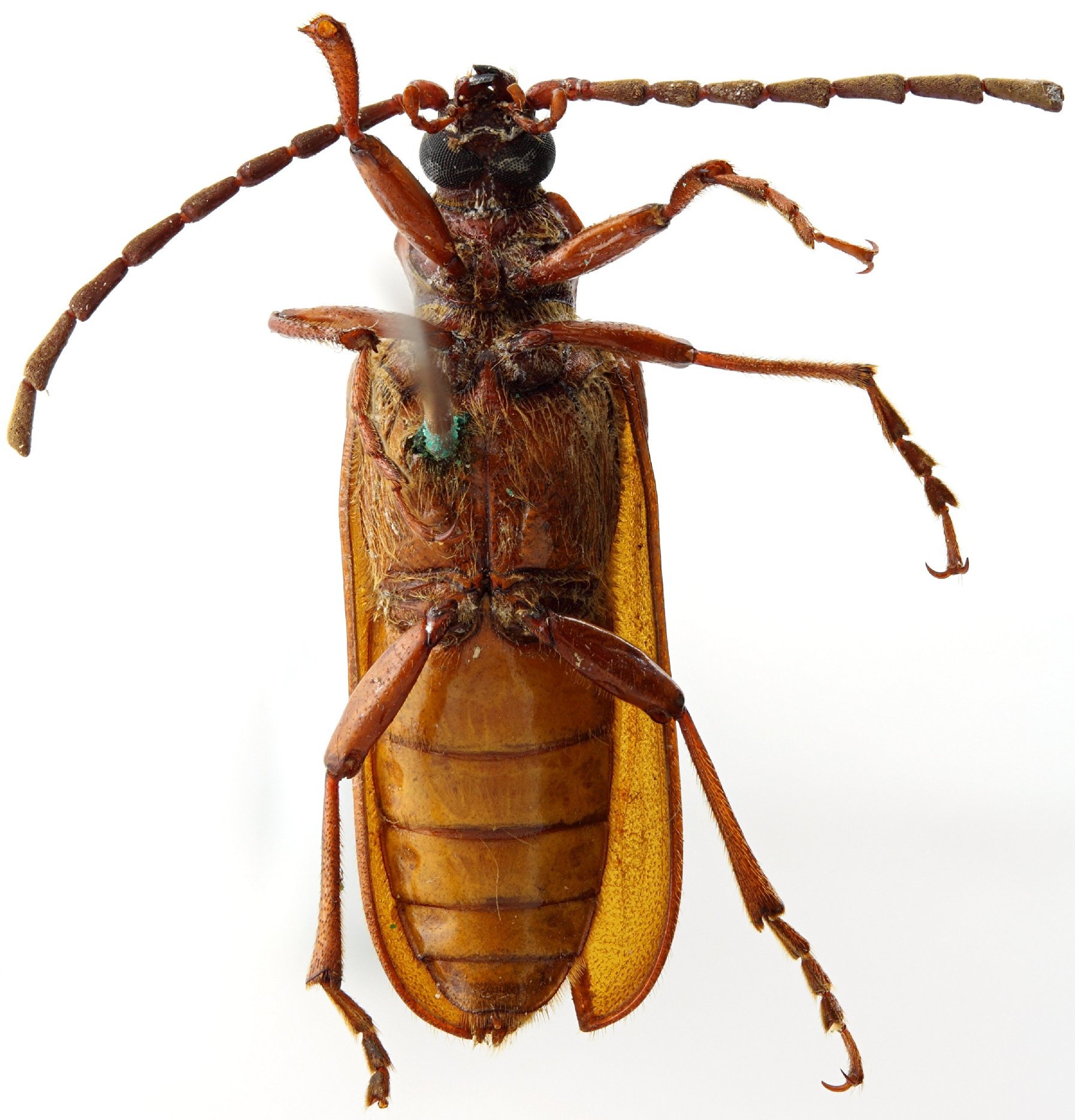
Anoploderma schroederi Lameere Specimen Type: lectotype Sex: m Institution: RBINS Royal Belgian Institute of Natural Sciences, Brussels, Belgium Photographer: J Pirkl Collection Location: Porto Alegre, Rio Grande do Sul, Brazil 65283
|
_Lameere_IRSNB_Porto_Alegre_Braz_Mysteria_cyl_J_Pirkl_pic5.jpg)
Anoploderma schroederi Lameere Specimen Type: lectotype Sex: m Institution: RBINS Royal Belgian Institute of Natural Sciences, Brussels, Belgium Photographer: J Pirkl Collection Location: Porto Alegre, Rio Grande do Sul, Brazil 65284
|
_Lameere_IRSNB_Porto_Alegre_Braz_Mysteria_cyl_J_Pirkl_pic5.jpg)
Anoploderma schroederi Lameere Specimen Type: lectotype Sex: m Institution: RBINS Royal Belgian Institute of Natural Sciences, Brussels, Belgium Photographer: J Pirkl Collection Location: Porto Alegre, Rio Grande do Sul, Brazil 65285
|
_Lameere_IRSNB_Porto_Alegre_Braz_Mysteria_cyl_J_Pirkl_pic5.jpg)
Anoploderma schroederi Lameere Specimen Type: lectotype Sex: m Institution: RBINS Royal Belgian Institute of Natural Sciences, Brussels, Belgium Photographer: J Pirkl Collection Location: Porto Alegre, Rio Grande do Sul, Brazil 65286
|

Institution: NMNH United States National Museum, Washington, DC, USA Photographer: Larry G. Bezark Determiner: Dias 20529
|
|