_Tippmann_Costa_Rica_USNM_SWL.jpg)
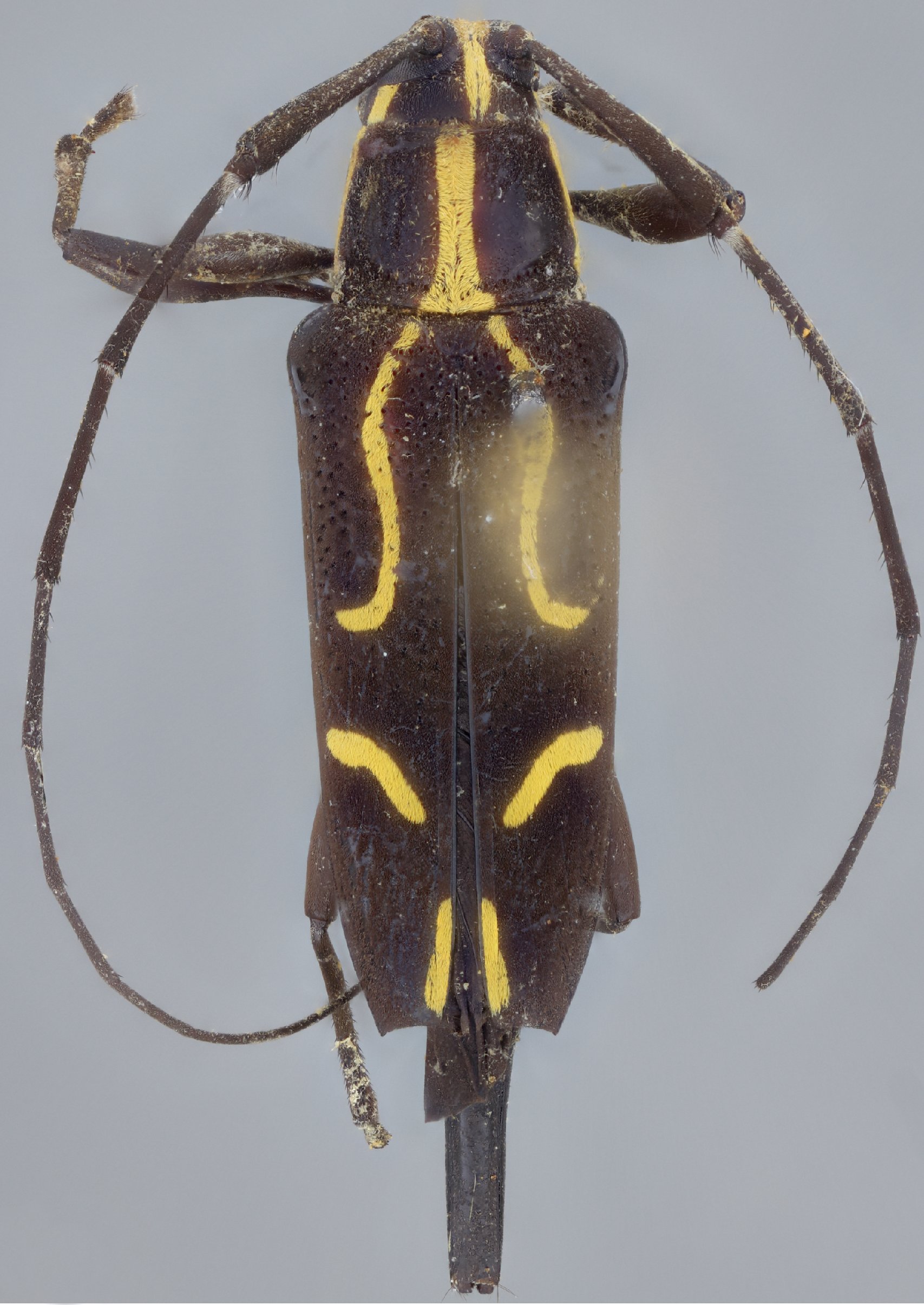
Specimen Type: holotype Sex: f Institution: NMNH United States National Museum, Washington, DC, USA Photographer: Steve Lingafelter Collection Location: Cariblanco, Heredia, Costa Rica 5831
|

Institution: FTH Frank T. Hovore collection (now at California Academy of Sciences) Photographer: Larry G. Bezark Collection Location: 16 km SE Guapiles, Limon, Costa Rica 5832
|