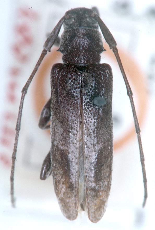
 Bates BMNH Mexico now Canidia Moure.jpg)
Dectes spinicornis Bates Specimen Type: holotype Institution: BMNH British Museum Natural History, London, UK Photographer: JS Moure Collection Location: Mexico 95643
|
_Dillon_USNM_=_Canidia.jpg)
Pseudocanidia cuernavacae Dillon Specimen Type: holotype Sex: m Institution: NMNH United States National Museum, Washington, DC, USA Collection Location: Cuernavaca, Morelos, Mexico 26510
|