_Monne_MNRJ_SWL.jpg)
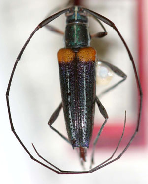
Specimen Type: holotype Sex: f Institution: MNRJ Museu Nacional Universidade do Rio Janeiro, Brazil Photographer: Steve Lingafelter Collection Location: Benjamin Constant, Amazonas, Brazil 5272
|
_Monne_MZSP_Para_Brazil_SS.jpg)
Specimen Type: paratype Sex: f Institution: MZSP Museu de Zoologia da Universidade de São Paulo, Brazil Photographer: Antonio Santos-Silva Collection Location: Para, Brazil 71964
|