 Bates MNHN Sao Paolo de Olivenca, Amazonas, Brazil Moure.jpg)
Specimen Type: holotype Sex: f Institution: MNHN Museum of Natural History Paris, France Photographer: JS Moure Collection Location: Sao Paolo de Olivenca, Amazonas, Brazil 95535
|
_Bates_MNHN_FTH.jpg)
Specimen Type: holotype Sex: f Institution: MNHN Museum of Natural History Paris, France Collection Location: São Paulo de Olivença, Amazonas, Brazil 15449
|
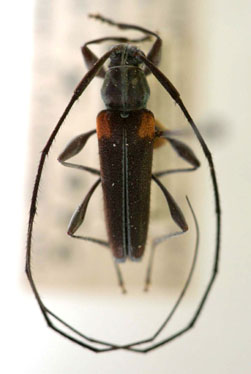
 Thomson MNHN Central French Guiana now Callipero bella Moure.jpg)
Carterica basalis Thomson Specimen Type: syntype Institution: MNHN Museum of Natural History Paris, France Photographer: JS Moure Collection Location: Central French Guiana 95548
|

Institution: MNRJ Museu Nacional Universidade do Rio Janeiro, Brazil Photographer: Steve Lingafelter 5271
|

Photographer: Denis Faure Collection Location: French Guiana 21676
|

Photographer: Jean-Louis Giuglaris Collection Location: Belizon, French Guiana 28620
|
 Bates Montagne des Chevaux, French Guiana Robin.jpg)
Sex: f Photographer: Frédéric Robin Collection Location: Montagne des Chevaux, French Guiana 5270
|