New Search Family, Subfamily and Tribe List

SubFamily Lamiinae

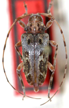
Tribe Acanthocinini
Baryssinus huedepohli Monné & Martins 1976

Specimen Type: holotype
Sex: f
Institution: MZSP Museu de Zoologia da Universidade de São Paulo, Brazil
Photographer: Steve Lingafelter
Collection Location: Santa Cruz, Bolivia
4924


Photographer: Jim Wappes
Collection Location: Bolivia
4923

130425