_Monne_MZSP_SWL.jpg)
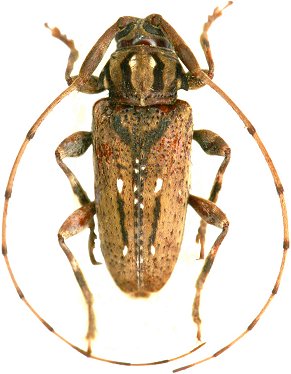
Specimen Type: holotype Sex: m Institution: MZSP Museu de Zoologia da Universidade de São Paulo, Brazil Photographer: Steve Lingafelter Collection Location: Mazatlán (5 miles N), Sinaloa, Mexico 4920
|

Photographer: Odette Morvan Collection Location: French Guiana 39968
|

Institution: LGBC Larry G. Bezark Collection, Sacramento, California, USA Photographer: Larry G. Bezark Determiner: Frank Hovore Collection Location: Barro Colorado Island, Canal Zone, Panama 4921
|
|