_Erichson_MNHU_JAC_=_Atrypanius.jpg)
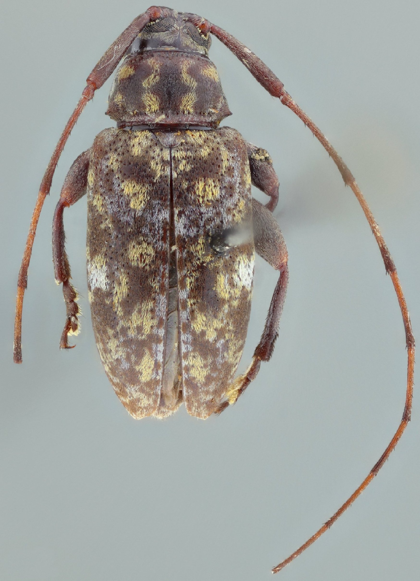
Liopus remissus Erichson Specimen Type: holotype Sex: f Institution: ZMHB Museum für Naturkunde der Humboldt-Universität, Berlin, Germany Photographer: John Chemsak Collection Location: Peru 17171
|
_Erichson_MNHU_Tav_=_Atrypanius.jpg)
Liopus remissus Erichson Specimen Type: holotype Sex: f Institution: ZMHB Museum für Naturkunde der Humboldt-Universität, Berlin, Germany Photographer: Gerard Tavakilian Collection Location: Peru 17172
|
 Bates MNHN Amazonas or Para, Brazil now Atrypan remiss Moure.jpg)
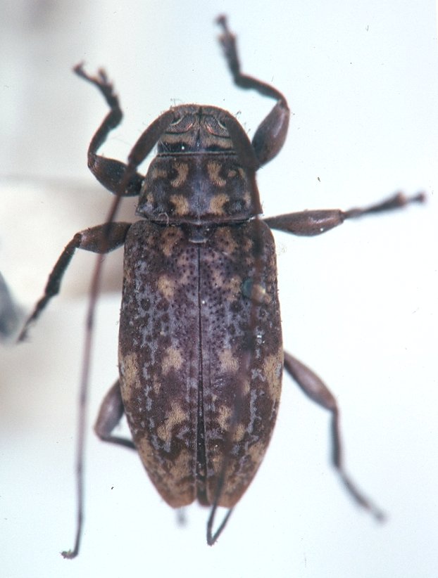
Nyssodrys lentiginosa Bates Specimen Type: syntype Sex: f Institution: BMNH British Museum Natural History, London, UK Photographer: JS Moure Collection Location: Amazonas or Pará, Brazil 17551
|
 MEFEIS UMFT campus, Sinop, Mato Grosso, Brazil SS.jpg)
Sex: f Institution: MEFE Museu de Ent da Faculdade de Engenharia de Ilha Solteira, Univ Estadual, Sao Paolo, Brazil Photographer: Antonio Santos-Silva Collection Location: UMFT campus, Sinop, Mato Grosso, Brazil 90005
|
_Bolivia_Wappes_Photo.jpg)
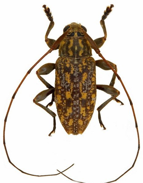
Photographer: Jim Wappes Collection Location: Bolivia 4883
|
_FTH.jpg)
Institution: FTH Frank T. Hovore collection (now at California Academy of Sciences) Photographer: Larry G. Bezark 4884
|
_Faure_French_Guiana.jpg)
Photographer: Denis Faure Collection Location: French Guiana 21653
|
_Kaw_FG_JLG.jpg)
Photographer: Jean-Louis Giuglaris Collection Location: Kaw, French Guinea 67930
|
 (Erich) MZSP, Cumbaratza, Zamora-Chinchipe, Ecuador SS.jpg)
Sex: m Institution: MZSP Museu de Zoologia da Universidade de São Paulo, Brazil Photographer: Antonio Santos-Silva Collection Location: Cumbaratza, Zamora-Chinchipe, Ecuador 80515
|