_White_BMNH_Colombia_now_Atrypanius_cretiger_Moure.jpg)
Leiopus cretiger White Specimen Type: holotype Institution: BMNH British Museum Natural History, London, UK Photographer: J S Moure Collection Location: Colombia 75429
|
_White_BMNH_Colombia_now_Atrypanius_cretiger_Moure.jpg)
Leiopus cretiger White Specimen Type: holotype Institution: BMNH British Museum Natural History, London, UK Photographer: J S Moure Collection Location: Colombia 75430
|
_Bates_BMNH_SantoDomoingo_Chontales_Nic_nowAtrypanius_LGB.jpg)
Nyssodrys punctatella Bates Specimen Type: lectotype Sex: m Institution: BMNH British Museum Natural History, London, UK Photographer: Larry G. Bezark Collection Location: Santo Domingo, Chontales, Nicaragua 47109
|
_(m)_Bates_BMNH_JAC_=_Atrypanius_cretiger_(White).jpg)
Nyssodrys punctatella Bates Specimen Type: lectotype Sex: m Institution: BMNH British Museum Natural History, London, UK Photographer: John Chemsak Collection Location: Santo Domingo, Chontales, Nicaragua 17571
|
_Bates_BMNH_Santo_Domingo_Chopntales_Nic_now_Atry_cret_Moure.jpg)
Nyssodrys punctatella Bates Specimen Type: lectotype Sex: m Institution: BMNH British Museum Natural History, London, UK Photographer: J S Moure Collection Location: Santo Domingo, Chontales, Nicaragua 75431
|
_(White)_MZSP_Turrialba_Cartago_Costa_Rica_SS.jpg)
Sex: f Institution: MZSP Museu de Zoologia da Universidade de São Paulo, Brazil Photographer: Antonio Santos-Silva Collection Location: Turrialba, Cartago, Costa Rica 75432
|
_(White)_SS.jpg)
Sex: m Institution: MZSP Museu de Zoologia da Universidade de São Paulo, Brazil Photographer: Antonio Santos-Silva 73157
|
_(White)_SS.jpg)
Sex: m Institution: MZSP Museu de Zoologia da Universidade de São Paulo, Brazil Photographer: Antonio Santos-Silva 73158
|
_BCA_(as_Nyssodrys_punctatellus_Bates).jpg)
Nyssodrys punctatella Bates Institution: BCA Biologia Centrali Americana 4874
|
_FTH.jpg)
Institution: FTH Frank T. Hovore collection (now at California Academy of Sciences) Photographer: Larry G. Bezark 4875
|
_LGB.jpg)
Institution: LGBC Larry G. Bezark Collection, Sacramento, California, USA Photographer: Larry G. Bezark Collection Location: Barro Colorado Island, Canal Zone, Panama 4876
|
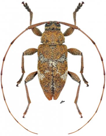
_(White)_La_Sombra_Nicaragua_jpr.jpg)
Sex: m Photographer: JP Roguet, https://lamiinae.org Collection Location: La Sombra, Nicaragua 67928
|