_Linsley_CAS_3608_LGB.jpg)
Specimen Type: holotype Sex: m Institution: CAS California Academy of Sciences, San Francisco, CA, USA Photographer: Larry G. Bezark Collection Location: Pope Valley, Napa County, California 20802
|

Photographer: Larry G. Bezark 3507
|

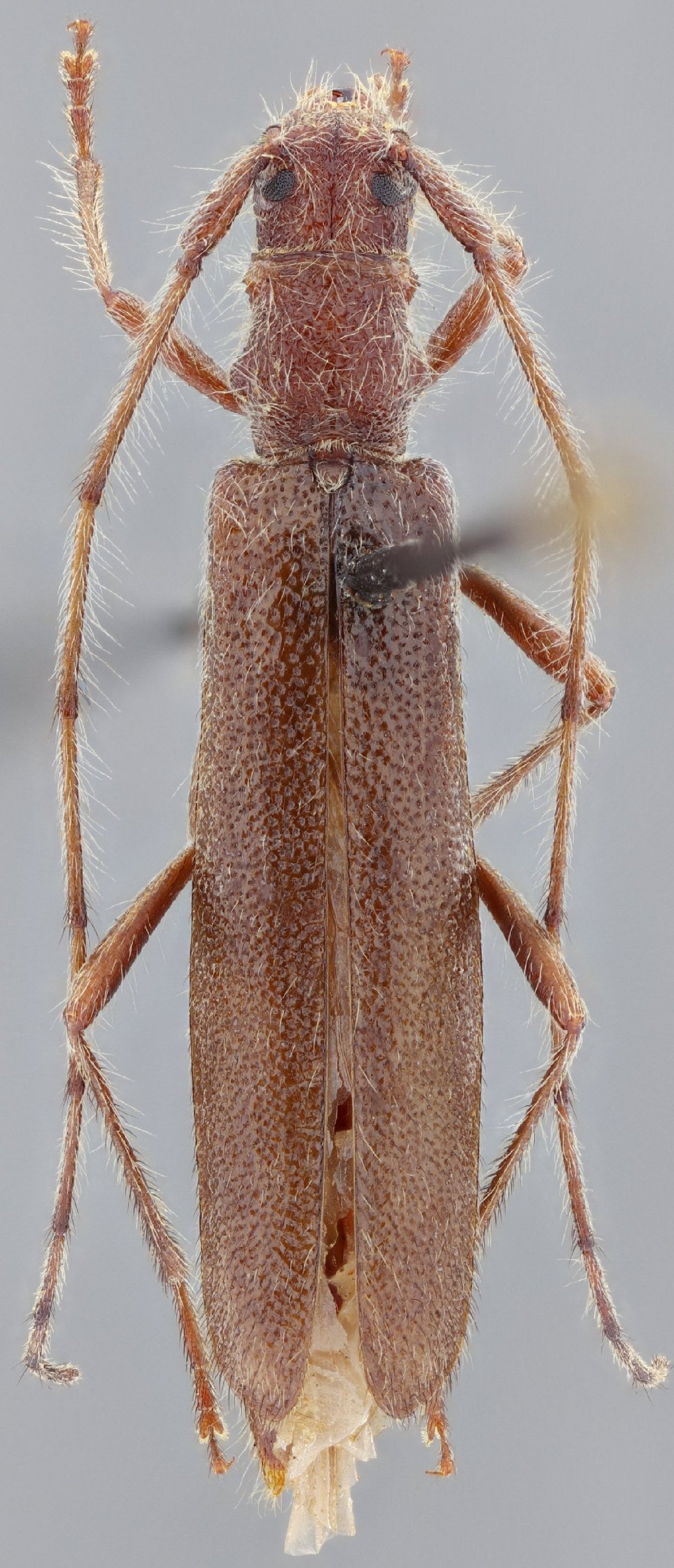
Sex: f Institution: MZSP Museu de Zoologia da Universidade de São Paulo, Brazil Photographer: Antonio Santos-Silva Collection Location: Butts Canyon, Lake County, California 90542
|

Sex: f Institution: MZSP Museu de Zoologia da Universidade de São Paulo, Brazil Photographer: Antonio Santos-Silva Collection Location: Butts Canyon, Lake County, California 90543
|
|