_Bates_MNHN_TAV.jpg)
Specimen Type: holotype Sex: m Institution: MNHN Museum of Natural History Paris, France Photographer: Gerard Tavakilian Collection Location: Costa Rica 4576
|

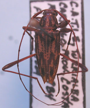
Institution: FTH Frank T. Hovore collection (now at California Academy of Sciences) Photographer: Larry G. Bezark Collection Location: Turrialba, Cartago, Costa Rica 4579
|