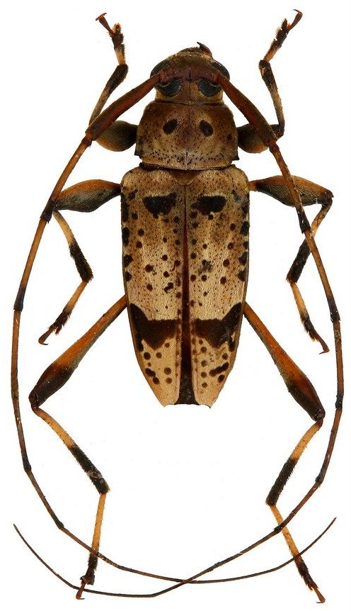
 Bates MNHN Santarem, Para, Brazil Moure.jpg)
Specimen Type: syntype Institution: MNHN Museum of Natural History Paris, France Photographer: JS Moure Collection Location: Santarem, Para, Brazil 4569
|
_Bates_MNHN_FTH.jpg)
Specimen Type: syntype Institution: MNHN Museum of Natural History Paris, France Collection Location: Santarem, Para, Brazil 15266
|
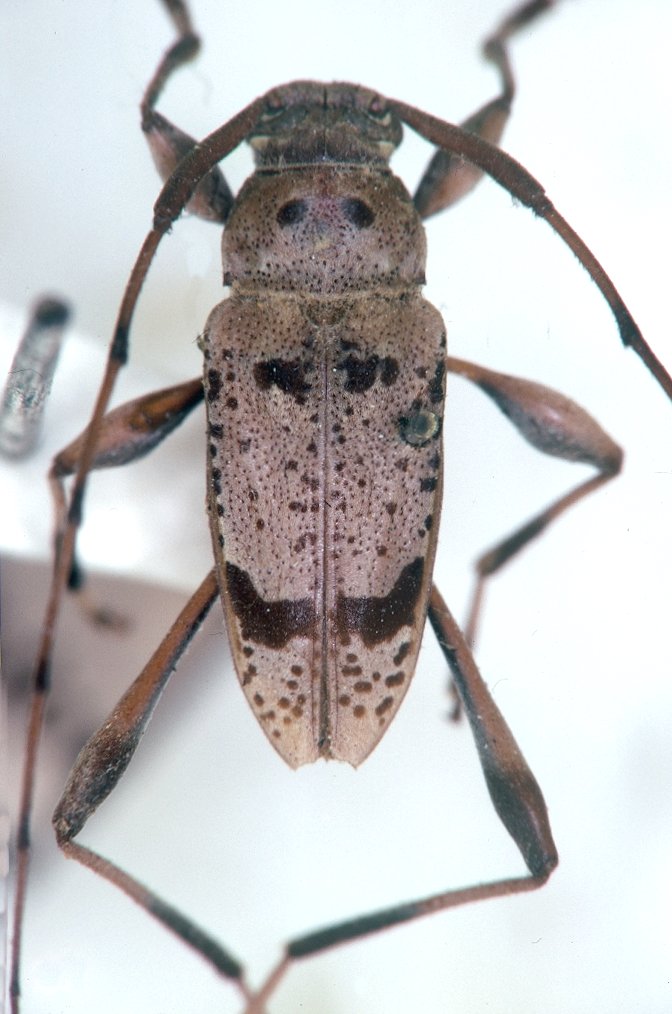
 Bates MZSP Santa Catarina, Brazil SS.jpg)
Sex: m Institution: MZSP Museu de Zoologia da Universidade de São Paulo, Brazil Photographer: Antonio Santos-Silva Collection Location: Santa Catarina, Brazil 80974
|

Photographer: Denis Faure Collection Location: French Guiana 21646
|

Institution: EMG Ed Giesbert Collection (now at FSCA) Photographer: Mike Thomas Collection Location: Tonnegrande jct, French Guiana 4570
|

Photographer: Jean-Louis Giuglaris Collection Location: Kaw, French Guinea 67924
|
|