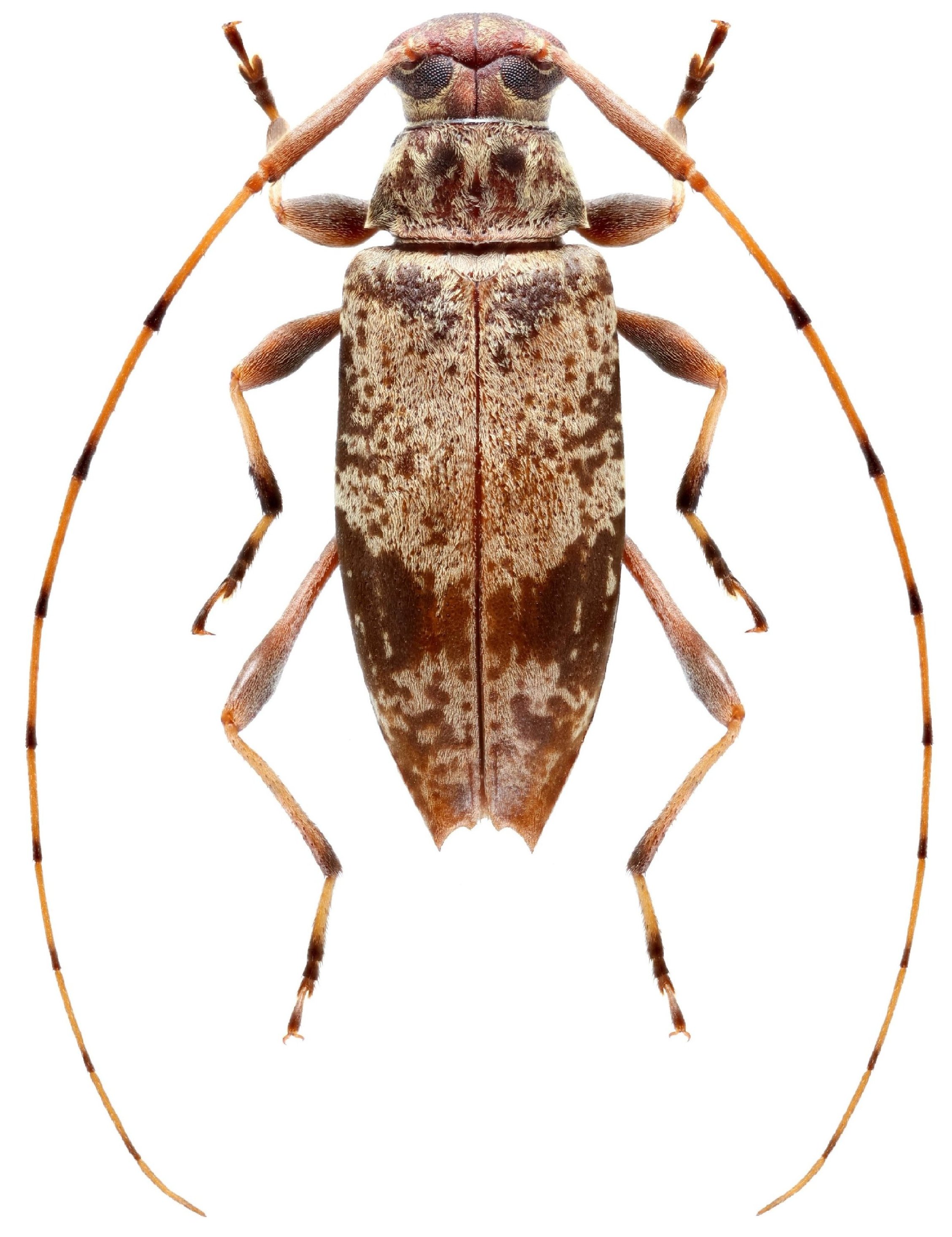
_Monne_and_Martins_MZSP_SWL.jpg)
Specimen Type: holotype Sex: m Institution: MZSP Museu de Zoologia da Universidade de São Paulo, Brazil Photographer: Steve Lingafelter Collection Location: Santa Cruz, Bolivia 4562
|
 Mart Monne Stoupan, Matoury, French Guiana Robin.jpg)
Sex: f Photographer: Frédéric Robin Collection Location: Stoupan, Matoury, French Guiana 90790
|