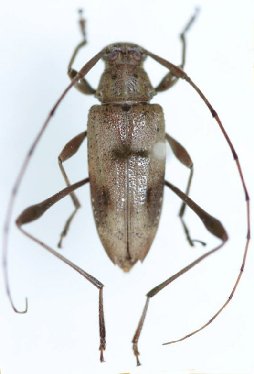
_Bates_BMNH_Tuxtla_Chiapas_Mex_LGB.jpg)
Specimen Type: lectotype Sex: m Institution: BMNH British Museum Natural History, London, UK Photographer: Larry G. Bezark Collection Location: Tuxtla, Chiapas, Mexico 46298
|
 Bates BMNH Tuxtla, Chiapas, Mexico Moure.jpg)
Specimen Type: lectotype Sex: m Institution: BMNH British Museum Natural History, London, UK Photographer: JS Moure Collection Location: Tuxtla, Chiapas, Mexico 4548
|