 Bates MNHN São Paulo de Olivença, Amazonas, Brazil Moure.jpg)
Specimen Type: holotype Sex: m Institution: MNHN Museum of Natural History Paris, France Photographer: JS Moure Collection Location: São Paulo de Olivença, Amazonas, Brazil 4543
|
_(m)_Bates_MNHN_Sao_Paulo_Brazil_JAC.jpg)
Specimen Type: holotype Sex: m Institution: MNHN Museum of Natural History Paris, France Photographer: John Chemsak Collection Location: São Paulo de Olivença, Amazonas, Brazil 15263
|
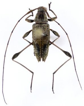
_Bates_MNHN_FTH.jpg)
Specimen Type: holotype Sex: m Institution: MNHN Museum of Natural History Paris, France Collection Location: São Paulo de Olivença, Amazonas, Brazil 15264
|

Photographer: Alicia M. Hodson 42005
|

Photographer: Jim Wappes Collection Location: Bolivia 4544
|

Specimen Type: maybe this taxa Sex: f? Institution: CAS California Academy of Sciences, San Francisco, CA, USA Photographer: Larry G. Bezark Determiner: Bira Martins Collection Location: Junin, Peru 4545
|

Institution: MNRJ Museu Nacional Universidade do Rio Janeiro, Brazil Photographer: Steve Lingafelter 4546
|
|