_Bates_MNHN_Para_and banks of_the Tapajos_Brazil_Moure.jpg)
Specimen Type: syntype Institution: MNHN Museum of Natural History Paris, France Photographer: J S Moure Collection Location: Pará and the banks of the Tapajós, Brazil 4537
|
_Bates_MNHN_FTH.jpg)
Specimen Type: syntype Institution: MNHN Museum of Natural History Paris, France Collection Location: Pará and the banks of the Tapajós, Brazil 15261
|
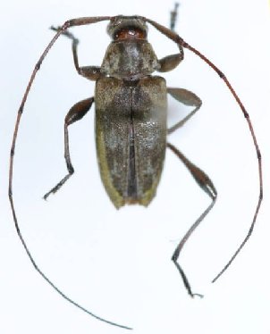
_Bates_MNHN_Sao_Paulo_de_Olivenca_Amazonas_Brazil_Moure.jpg)
Anisopodus humeralis Bates Specimen Type: holotype Sex: f Institution: MNHN Museum of Natural History Paris, France Photographer: J S Moure Collection Location: São Paulo de Olivença, Amazonas, Brazil 4532
|
_(f)_Bates_MNHN_FTH.jpg)
Anisopodus humeralis Bates Specimen Type: holotype Sex: f Institution: MNHN Museum of Natural History Paris, France Photographer: Frank T. Hovore Collection Location: São Paulo de Olivença, Amazonas, Brazil 15260
|

Photographer: Jim Wappes Collection Location: Bolivia 4533
|

Institution: CAS California Academy of Sciences, San Francisco, CA, USA Photographer: Larry G. Bezark Determiner: Forrest Gilmour 4539
|

Institution: FTH Frank T. Hovore collection (now at California Academy of Sciences) Photographer: Larry G. Bezark Collection Location: Ecuador 4540
|

Photographer: Steve Lingafelter Collection Location: Nicaragua 25480
|

Photographer: Frédéric Robin Collection Location: Matoury, French Guiana 79301
|

Sex: m Institution: INPA Instituto Nacional de Pesquisas da Amazonia, Manaus, Brazil Photographer: Antonio Santos-Silva Collection Location: Floresty Estadual Antimary, Bujari, Acre, Brazil 95225
|