 Bates BMNH Santo Domingo, Chontales, Nicaragua Moure.jpg)
Specimen Type: holotype Sex: m Institution: BMNH British Museum Natural History, London, UK Photographer: JS Moure Collection Location: Santo Domingo, Chontales, Nicaragua 4524
|
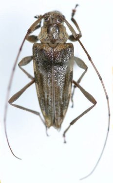
_(m)_Bates_BMNH_JAC.jpg)
Specimen Type: holotype Sex: m Institution: BMNH British Museum Natural History, London, UK Photographer: John Chemsak Collection Location: Santo Domingo, Chontales, Nicaragua 15259
|