
Lepturges brochieri Chalumeau & Touroult Specimen Type: holotype Sex: f Photographer: Julien Touroult Collection Location: Martinique 22915
|
_Villiers_Dominica_USNM_SWL.jpg)
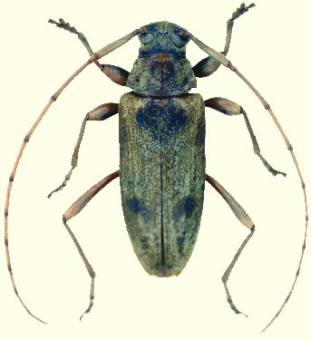
Specimen Type: holotype Sex: m Institution: NMNH United States National Museum, Washington, DC, USA Photographer: Steve Lingafelter Collection Location: Trafalgar, Dominica 4518
|