_Bates_BMNH_Bugaba_Chiriqui_Panam.jpg)
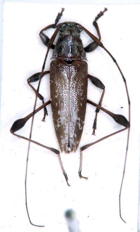
Specimen Type: paralect, lectotype Institution: BMNH British Museum Natural History, London, UK Photographer: Larry G. Bezark Collection Location: Bugaba, Chiriqui, Panama 46297
|
 Bates MNHN Bugaba, Chiriqui, Panama Moure.jpg)
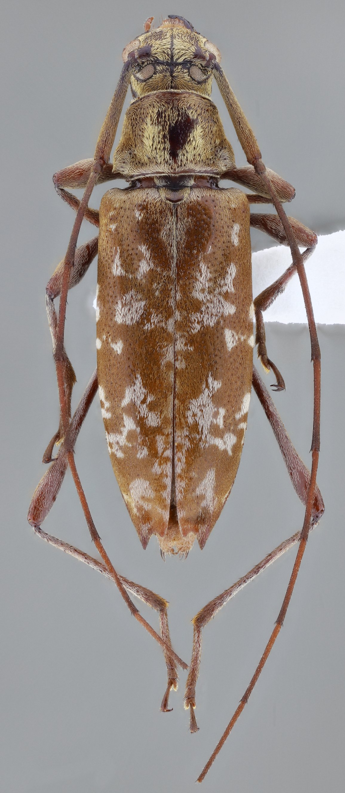
Specimen Type: cotype Institution: MNHN Museum of Natural History Paris, France Photographer: JS Moure Collection Location: Bugaba, Chiriqui, Panama 95356
|
 Bates FSCA Cerro Jesus, Nueva Segovia, Nicaragua SS.jpg)
Sex: f Institution: FSCA Florida State Collection of Arthropods, Gainesville, FL, USA Photographer: Antonio Santos-Silva Collection Location: Cerro Jesus, Nueva Segovia, Nicaragua 89304
|
_Bates_BCA.jpg)
Sex: f Institution: BCA Biologia Centrali Americana 4515
|
_Bates_BCA.jpg)
Sex: m Institution: BCA Biologia Centrali Americana 4516
|

Institution: FTH Frank T. Hovore collection (now at California Academy of Sciences) Photographer: Larry G. Bezark Collection Location: El Valle, Cocle Province, Panama 4517
|
|