
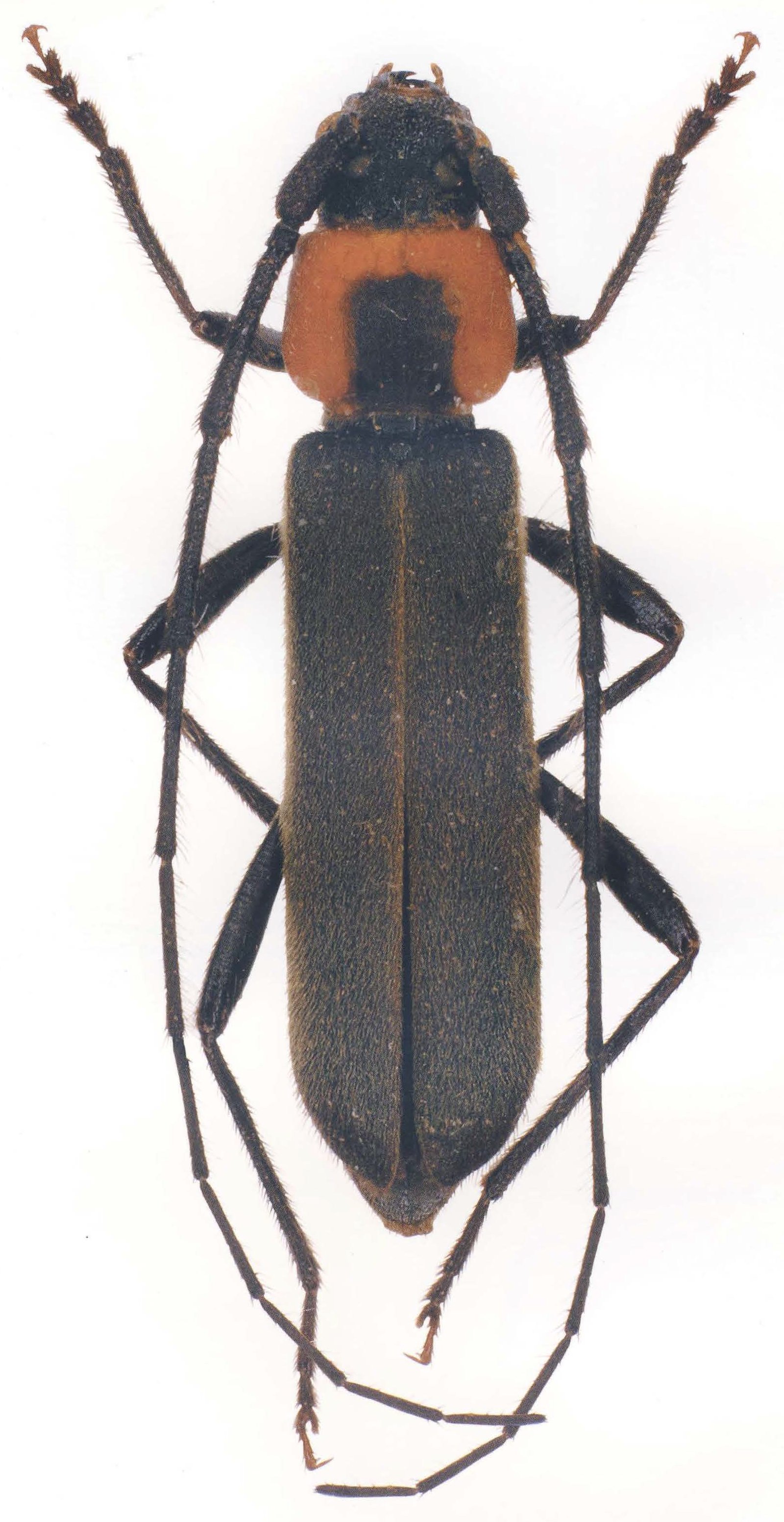
Temnopis rufithorax Aurivillius Specimen Type: syntype Sex: m Institution: NHRS Naturhistoriska Riksmuseet, Stockholm, Sweden Collection Location: Petrópolis, Rio de Janeiro, Brazil 30874
|
_SA_Suppl_1.jpg)
Determiner: S American Cerambycidae Supplement 1 12546
|
_Det_Chemsak_UCB.jpg)
Institution: UCB Essig Museum of Entomology, Berkeley, California, USA Photographer: Larry G. Bezark Determiner: Chemsak 12547
|
_Paraguay_Dep_Alto_Parana_Mehl.jpg)
Photographer: Ole Mehl Collection Location: Department Alto Parana, Paraguay 36888
|
 (Buquet) MZSP Nova Teutônia, Santa Catarina, Brazil SS.jpg)
Sex: m Institution: MZSP Museu de Zoologia da Universidade de São Paulo, Brazil Photographer: Antonio Santos-Silva Collection Location: Nova Teutônia, Santa Catarina, Brazil 90524
|
|