
Specimen Type: holotype Sex: m Institution: MZSP Museu de Zoologia da Universidade de São Paulo, Brazil Collection Location: Gleba Arinos, Mato Grosso, Brazil 23702
|

Specimen Type: holotype Sex: m Institution: MZSP Museu de Zoologia da Universidade de São Paulo, Brazil Collection Location: Gleba Arinos, Mato Grosso, Brazil 21605
|

Determiner: S American Cerambycidae Supplement 1 55608
|
 Martins MZSP Gleba Arinos, Mato Grosso, Brazil SS.jpg)
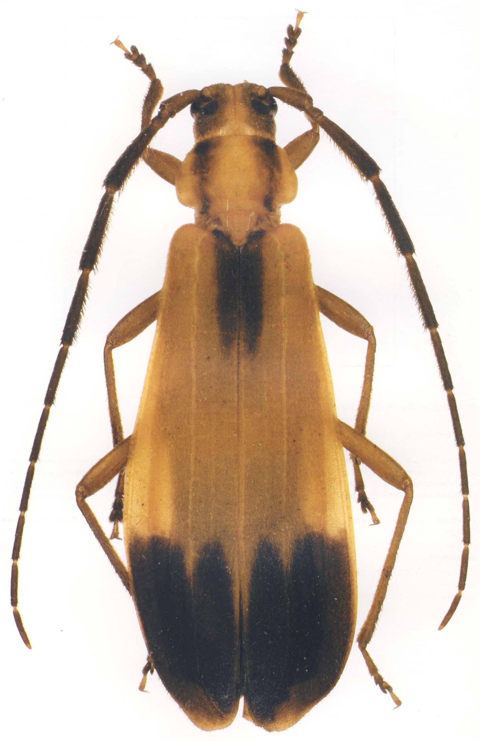
Sex: m Institution: MZSP Museu de Zoologia da Universidade de São Paulo, Brazil Photographer: Antonio Santos-Silva Collection Location: Gleba Arinos, Mato Grosso, Brazil 90523
|
|