New Search Family, Subfamily and Tribe List

SubFamily Lamiinae

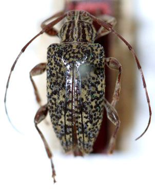
Tribe Acanthocinini
Alcidion alienum (Melzer, 1932)

Probatius alienus Melzer
Specimen Type: syntype
Institution: MZSP Museu de Zoologia da Universidade de São Paulo, Brazil
Photographer: Steve Lingafelter
Collection Location: Passa Quatro (Fazenda dos Campos), Minas Gerais, Brazil
12541

130425