 Tippmann NMNH Brazil now Catuana Moure.jpg)
Acanthoderes spinicornis Tippmann Specimen Type: holotype Sex: f Institution: NMNH United States National Museum, Washington, DC, USA Photographer: JS Moure Collection Location: Benjamin Constant Rio Javari), Amazonas, Brazil 80307
|
_Tippmann_Brazil_USNM_SWL_=_Psapharochrus.jpg)
Acanthoderes spinicornis Tippmann Specimen Type: holotype Sex: f Institution: NMNH United States National Museum, Washington, DC, USA Photographer: Steve Lingafelter Collection Location: Benjamin Constant Rio Javari), Amazonas, Brazil 3639
|
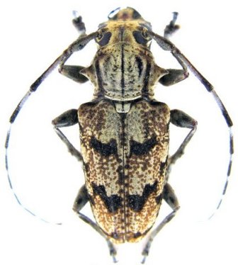
_Det_Monne_UCB.jpg)
Institution: UCB Essig Museum of Entomology, Berkeley, California, USA Photographer: Larry G. Bezark Determiner: Monne 12672
|
_FTH.jpg)
Institution: FTH Frank T. Hovore collection (now at California Academy of Sciences) Photographer: Larry G. Bezark 12673
|
_Rev_Bras_Zoo.jpg)
26655
|
 M G Ramirez Coll Centro Fuerte, Rio Momon, Loreto, Peru SS.jpg)
Sex: m Institution: Ramirez Collection Photographer: Antonio Santos-Silva Collection Location: Centro Fuerte, Rio Momon, Loreto, Peru 100665
|
_Faure_French_Guiana.jpg)
Photographer: Denis Faure Collection Location: French Guiana 23727
|

Photographer: Jean-Louis Giuglaris Collection Location: Kaw, French Guiana 28627
|
|