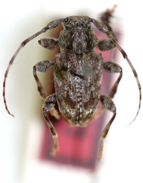
_Zajciw_MNRJ_SWL_=_Psapharochrus_quadrituberculatus.jpg)
Acanthoderes quadritubercula Zajciw Specimen Type: holotype Sex: m Institution: MNRJ Museu Nacional Universidade do Rio Janeiro, Brazil Photographer: Steve Lingafelter Collection Location: Linhares, Parque Sooretama, Esoirito Santo, Brazil 3628
|
_(Zajciw)_MZSP_Parque_Sooretama_Espirito_Santo_Brazil_SS.jpg)
Sex: m Institution: MZSP Museu de Zoologia da Universidade de São Paulo, Brazil Photographer: Antonio Santos-Silva Collection Location: Parque Sooretama, Linhares, Espirito Santo, Brazil 70614
|
_(Zajciw)_MZSP_Parque_Sooretama_Espirito_Santo_Brazil_SS.jpg)
Sex: m Institution: MZSP Museu de Zoologia da Universidade de São Paulo, Brazil Photographer: Antonio Santos-Silva Collection Location: Parque Sooretama, Linhares, Espirito Santo, Brazil 70615
|
_(Zajciw)_MZSP_Parque_Sooretama_Espirito_Santo_Brazil_SS.jpg)
Sex: m Institution: MZSP Museu de Zoologia da Universidade de São Paulo, Brazil Photographer: Antonio Santos-Silva Collection Location: Parque Sooretama, Linhares, Espirito Santo, Brazil 70616
|
_(Zajciw)_MZSP_Parque_Sooretama_Espirito_Santo_Brazil_SS.jpg)
Sex: m Institution: MZSP Museu de Zoologia da Universidade de São Paulo, Brazil Photographer: Antonio Santos-Silva Collection Location: Parque Sooretama, Linhares, Espirito Santo, Brazil 70617
|
|