_Fall_MCZ.jpg)
Specimen Type: syntype Institution: MCZ Museum of Comparative Zoology, Harvard University, Cambridge, MA, USA Photographer: P. Naskrecki, P. Perkins, and B. Farrell 1161
|
_Fall_MCZ.jpg)
Specimen Type: syntype Institution: MCZ Museum of Comparative Zoology, Harvard University, Cambridge, MA, USA Photographer: P. Naskrecki, P. Perkins, and B. Farrell 1163
|
_Fall_MCZ.jpg)
Specimen Type: syntype Institution: MCZ Museum of Comparative Zoology, Harvard University, Cambridge, MA, USA Photographer: P. Naskrecki, P. Perkins, and B. Farrell 1164
|
_Fall_MCZ.jpg)
Specimen Type: syntype Institution: MCZ Museum of Comparative Zoology, Harvard University, Cambridge, MA, USA Photographer: P. Naskrecki, P. Perkins, and B. Farrell 1165
|
 Fall MZSP San Antonio, Marin Co, California SS.jpg)
Sex: m Institution: MZSP Museu de Zoologia da Universidade de São Paulo, Brazil Photographer: Antonio Santos-Silva Collection Location: San Antonio, Marin County, California 90498
|
 Fall MZSP San Antonio, Marin Co, California SS.jpg)
Sex: m Institution: MZSP Museu de Zoologia da Universidade de São Paulo, Brazil Photographer: Antonio Santos-Silva Collection Location: San Antonio, Marin County, California 90499
|

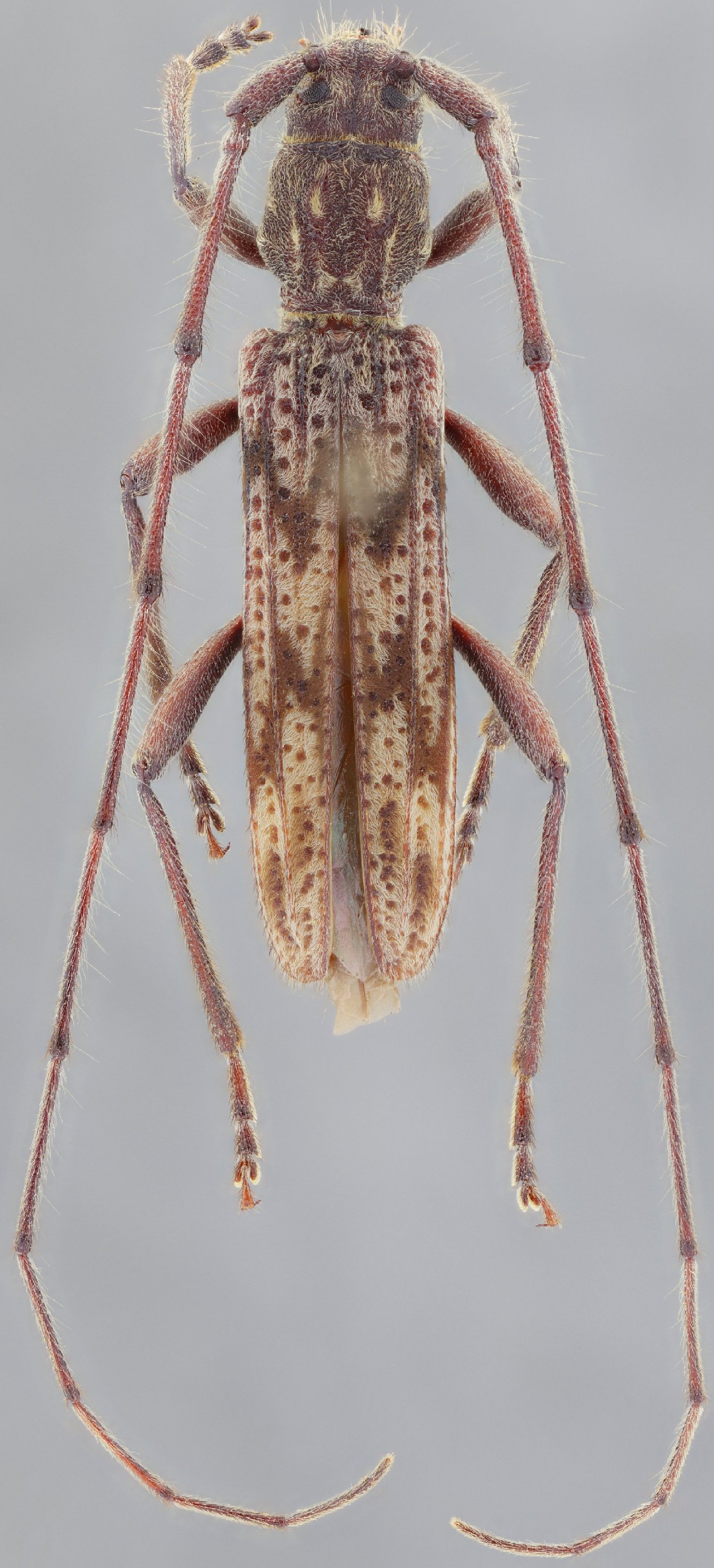
Sex: f Institution: LGBC Larry G. Bezark Collection, Sacramento, California, USA Photographer: Larry G. Bezark Collection Location: Alta Sierra, Greenhorn Mounatins, Kern County, California 3429
|
|