_Bates_MNHN_FTH_=_Psapharochrus_longitarsis.jpg)
Acanthoderes longitarsis Bates Specimen Type: holotype Sex: m Institution: MNHN Museum of Natural History Paris, France Collection Location: Ecuador 14929
|
 Bates MNHN Ecuador now Aego Moure.jpg)
Acanthoderes longitarsis Bates Specimen Type: holotype Sex: m Institution: MNHN Museum of Natural History Paris, France Photographer: JS Moure Collection Location: Ecuador 80288
|
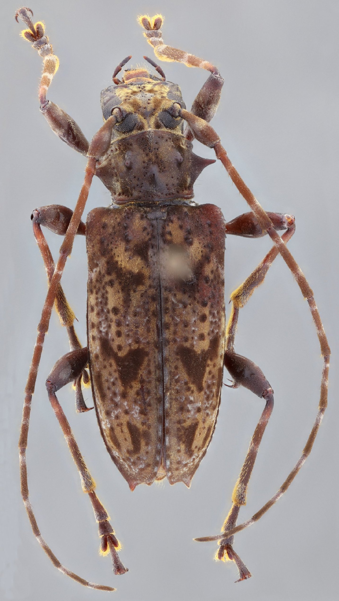
 Bates Heff coll Chanchamayo, Junin, Peru SS.jpg)
Sex: f Institution: Heffern Collection Photographer: Antonio Santos-Silva Collection Location: Chanchamayo, Junin, Peru 78516
|
 Bates MZSP Satipo, Peru SS.jpg)
Sex: f Institution: MZSP Museu de Zoologia da Universidade de São Paulo, Brazil Photographer: Antonio Santos-Silva Collection Location: Satipo, Peru 78517
|
|