_Zajciw_MNRJ_SWL.jpg)
Specimen Type: holotype Sex: m Institution: MNRJ Museu Nacional Universidade do Rio Janeiro, Brazil Photographer: Steve Lingafelter Collection Location: Provincia Chaparé, Santa Cruz, Bolivia 13962
|
_Tippmann_Bolivia_USNM_SWL_=_Temnopis_oculata_Zajciw.jpg)
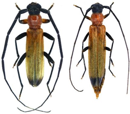
Temnopis apicalis Tippmann Specimen Type: holotype Sex: m Institution: NMNH United States National Museum, Washington, DC, USA Photographer: Steve Lingafelter Collection Location: Provincia Chaparé, Santa Cruz, Bolivia 13954
|