
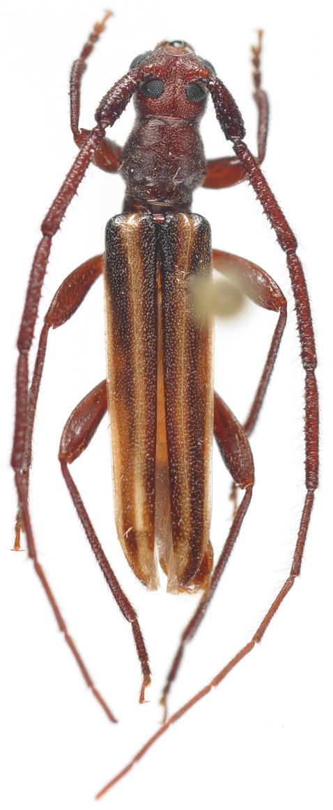
Institution: LGBC Larry G. Bezark Collection, Sacramento, California, USA Photographer: Larry G. Bezark Collection Location: Chacurru Ecotourism, Amambay, Paraguay 18999
|

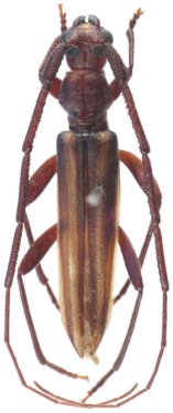
Institution: LGBC Larry G. Bezark Collection, Sacramento, California, USA Photographer: Larry G. Bezark Collection Location: Chacurru Ecotourism, Amambay, Paraguay 19000
|

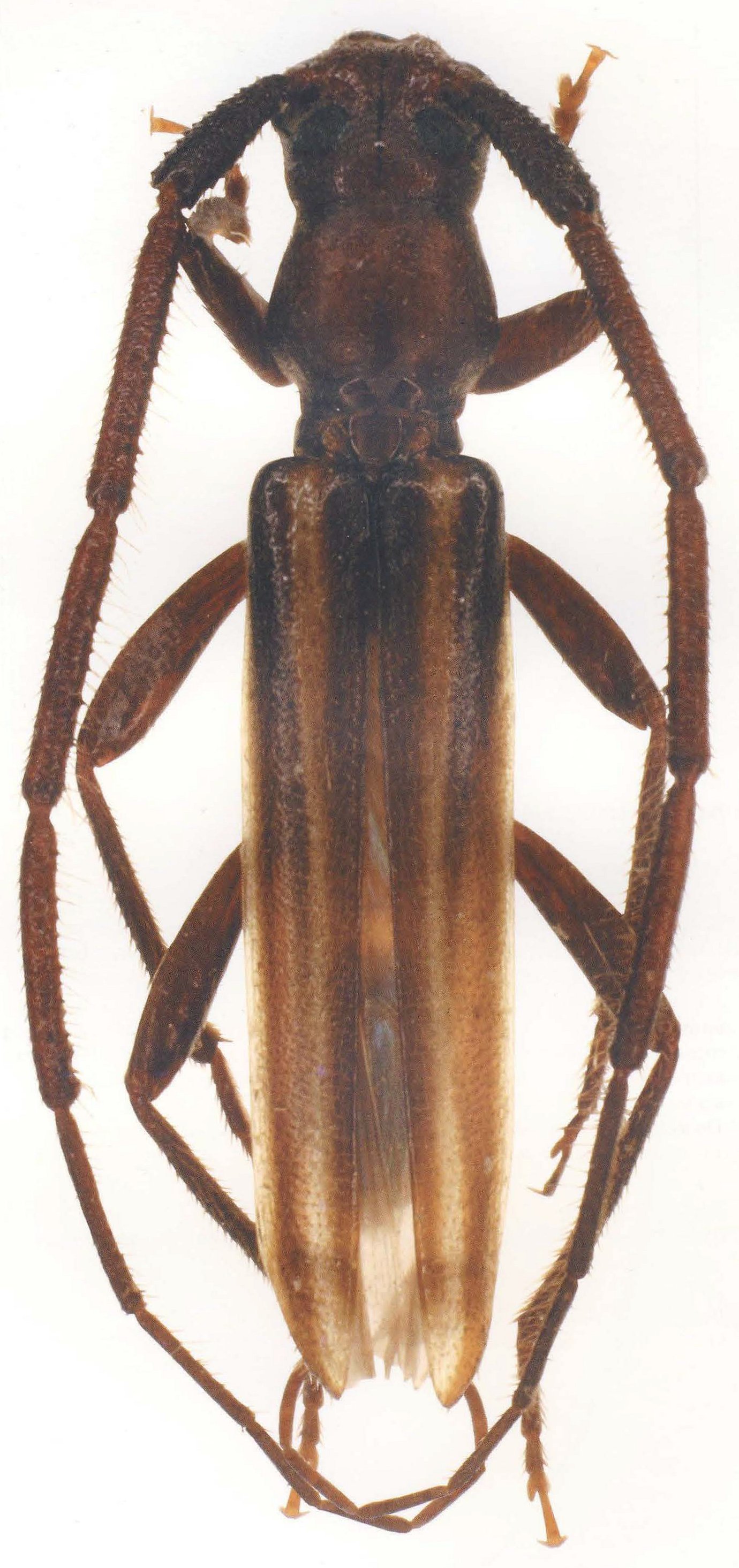
Institution: LGBC Larry G. Bezark Collection, Sacramento, California, USA Photographer: Larry G. Bezark Collection Location: Jack Norment Camp, Caacupé, Paraguay 19001
|
_Jack_Norment_Camp_Paraguay_LGB.jpg)
Institution: LGBC Larry G. Bezark Collection, Sacramento, California, USA Photographer: Larry G. Bezark Collection Location: Jack Norment Camp, Caacupé, Paraguay 19002
|

Institution: MNRJ Museu Nacional Universidade do Rio Janeiro, Brazil Photographer: Marcela Monne Collection Location: Serro do Caraca, Minas Gerais, Brazil 62329
|

Determiner: S American Cerambycidae Supplement 1 55614
|

Photographer: Marcela Monne Collection Location: Itatiaia National Park, Rio de Janeiro, Brazil 27969
|

Photographer: Jim Wappes Collection Location: Bolivia 13959
|

Photographer: Ole Mehl Collection Location: Department Caazapa, Paraguay 36927
|
|