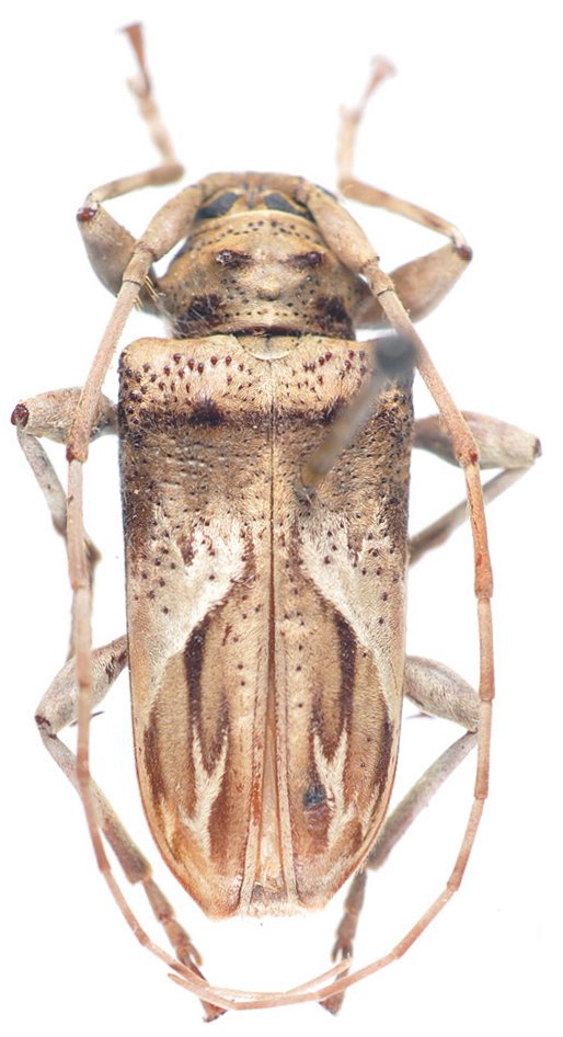
_Melzer_MZSP_SWL.jpg)
Specimen Type: holotype Institution: MZSP Museu de Zoologia da Universidade de São Paulo, Brazil Photographer: Steve Lingafelter 11480
|

Photographer: Marcela Monne Collection Location: Itatiaia National Park, Rio de Janeiro, Brazil 35380
|

Institution: MNRJ Museu Nacional Universidade do Rio Janeiro, Brazil Photographer: Marcela Monne Collection Location: Serro do Caraca, Minas Gerais, Brazil 62322
|
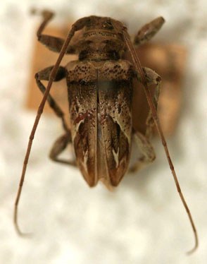
_Melzer_Det_Lane_BMNH_Hespenheide_FTH.jpg)
Institution: BMNH British Museum Natural History, London, UK Photographer: Henry Hespenheide Determiner: Lane 17949
|
|