 Martins MZSP Serro do Caraca, Santa Barbara, Minas Gerais, Brazil SS.jpg)
Specimen Type: holotype Sex: m Institution: MZSP Museu de Zoologia da Universidade de São Paulo, Brazil Photographer: Antonio Santos-Silva Collection Location: Serro do Caraca, Santa Barbara, Minas Gerais, Brazil 90538
|
 Martins MZSP Serro do Caraca, Santa Barbara, Minas Gerais, Brazil SS.jpg)
Specimen Type: holotype Sex: m Institution: MZSP Museu de Zoologia da Universidade de São Paulo, Brazil Photographer: Antonio Santos-Silva Collection Location: Serro do Caraca, Santa Barbara, Minas Gerais, Brazil 90539
|
 Martins MZSP Serro do Caraca, Santa Barbara, Minas Gerais, Brazil SS.jpg)
Specimen Type: holotype Sex: m Institution: MZSP Museu de Zoologia da Universidade de São Paulo, Brazil Photographer: Antonio Santos-Silva Collection Location: Serro do Caraca, Santa Barbara, Minas Gerais, Brazil 90540
|
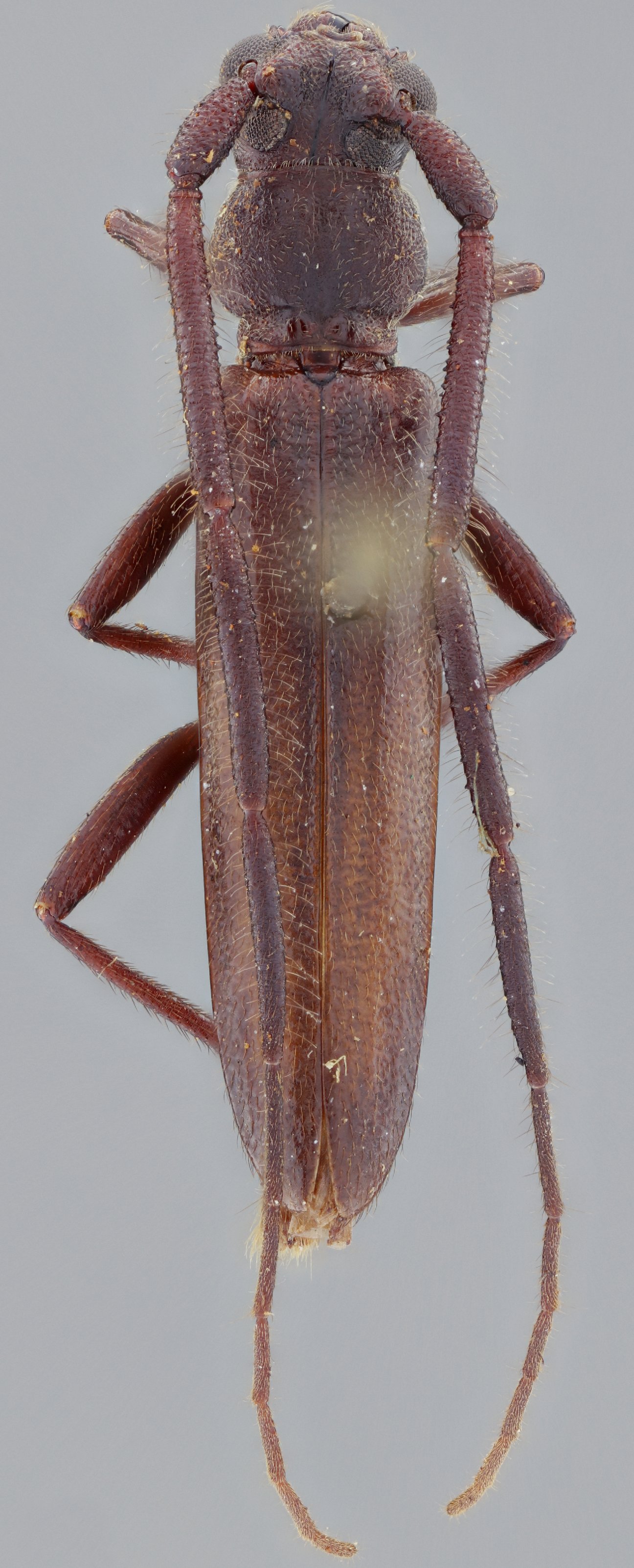
_Martins_Bolivia_Wappes_Photo.jpg)
Specimen Type: paratype Photographer: Jim Wappes Collection Location: Bolivia 13955
|
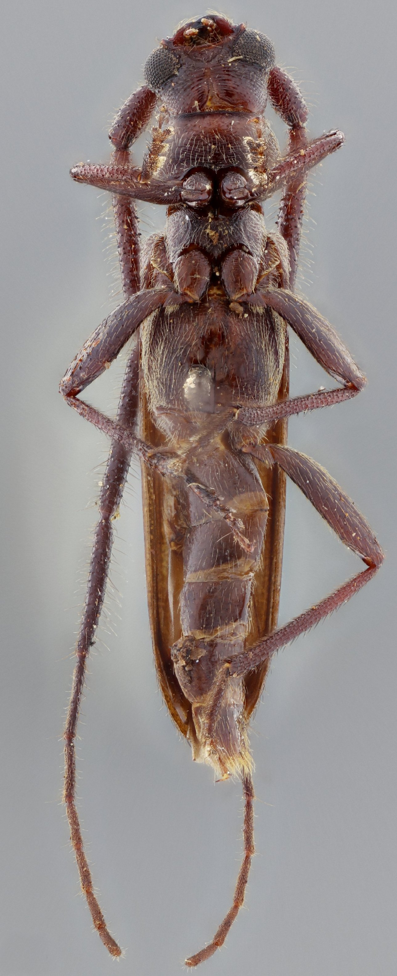
_Det_Santos-Silva_LGB.jpg)
Institution: LGBC Larry G. Bezark Collection, Sacramento, California, USA Photographer: Larry G. Bezark Determiner: Antonio Santos-Silva Collection Location: vic Timoteo, Minas Gerais, Brazil 25265
|
_Det_Santos-Silva_LGB.jpg)
Institution: LGBC Larry G. Bezark Collection, Sacramento, California, USA Photographer: Larry G. Bezark Determiner: Antonio Santos-Silva Collection Location: vic Timoteo, Minas Gerais, Brazil 25266
|

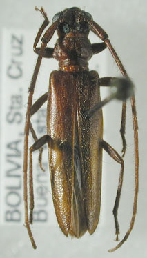
Photographer: Jim Wappes Collection Location: Bolivia 13956
|

Institution: EMG Ed Giesbert Collection (now at FSCA) Collection Location: Buena Vista, Santa Cruz, Bolivia 13957
|
|