_Fuchs_Schmid_photo.jpg)
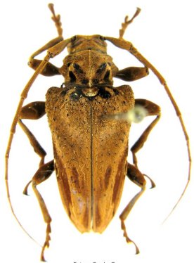
Oreodera ferruginea Fuchs Specimen Type: holotype Sex: f Institution: HS Herbert Schmid Collection, Vienna, Austria Photographer: Herbert Schmid 20969
|
 Lane MNHN Maroni, French Guiana now ferrug TAVA.jpg)
Sorelia cervina Lane Specimen Type: holotype © MNHN Sex: f Institution: MNHN Museum of Natural History Paris, France Photographer: Gerard Tavakilian Collection Location: Maroni, French Guiana 18496
|