
Photographer: Larry G. Bezark Collection Location: Rondonia, Brazil 22985
|

Photographer: Larry G. Bezark Collection Location: Rondonia, Brazil 22986
|

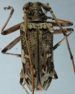
Institution: UCB Essig Museum of Entomology, Berkeley, California, USA Photographer: Larry G. Bezark Collection Location: Tambopata, Peru 9556
|

Photographer: Odette Morvan Collection Location: Kaw, French Guiana 25194
|

Photographer: Carlos Taboada-Verona Collection Location: Estacion Biologia Tahuamanu, Nicolas Suarez Province, Pando, Bolivia 62439
|
|