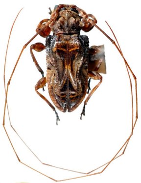
_Bates_MNHN_Santarem_Brazil_=_Macronemus.jpg)
Aethomerus rufescens Bates Specimen Type: holotype Sex: m Institution: MNHN Museum of Natural History Paris, France Photographer: Gino Nearns Collection Location: Santarem, Brazil 39615
|
_Bates_MNHN_Santarem_Brazil_=_Macronemus.jpg)
Aethomerus rufescens Bates Specimen Type: holotype Sex: m Institution: MNHN Museum of Natural History Paris, France Photographer: Gino Nearns Collection Location: Santarem, Brazil 39616
|
_Bates_Nearns2_now_Macronemus.jpg)
Aethomerus rufescens Bates Specimen Type: holotype Sex: m Institution: MNHN Museum of Natural History Paris, France Photographer: Gino Nearns Collection Location: Santarem, Brazil 41976
|
_Bates_MNHN_FTH_Santarem_Brazil_=_Macronemus_rufescens.jpg)
Aethomerus rufescens Bates Specimen Type: holotype Institution: MNHN Museum of Natural History Paris, France Collection Location: Santarem, Brazil 15059
|
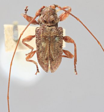
_(Bates)_Machado.jpg)
Sex: f 39677
|
|