_Martins_MNRJ_SWL.jpg)
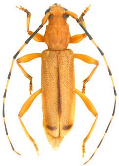
Sphagoeme suturalis Martins Specimen Type: holotype Sex: m Institution: MNRJ Museu Nacional Universidade do Rio Janeiro, Brazil Photographer: Steve Lingafelter Collection Location: Sinop, Mato Grosso, Brazil 13320
|

Photographer: Odette Morvan Collection Location: French Guiana 31519
|