_Zajciw_MNRJ_SWL_=_Sphagoeme_sahlbergi_Aurivillius.jpg)
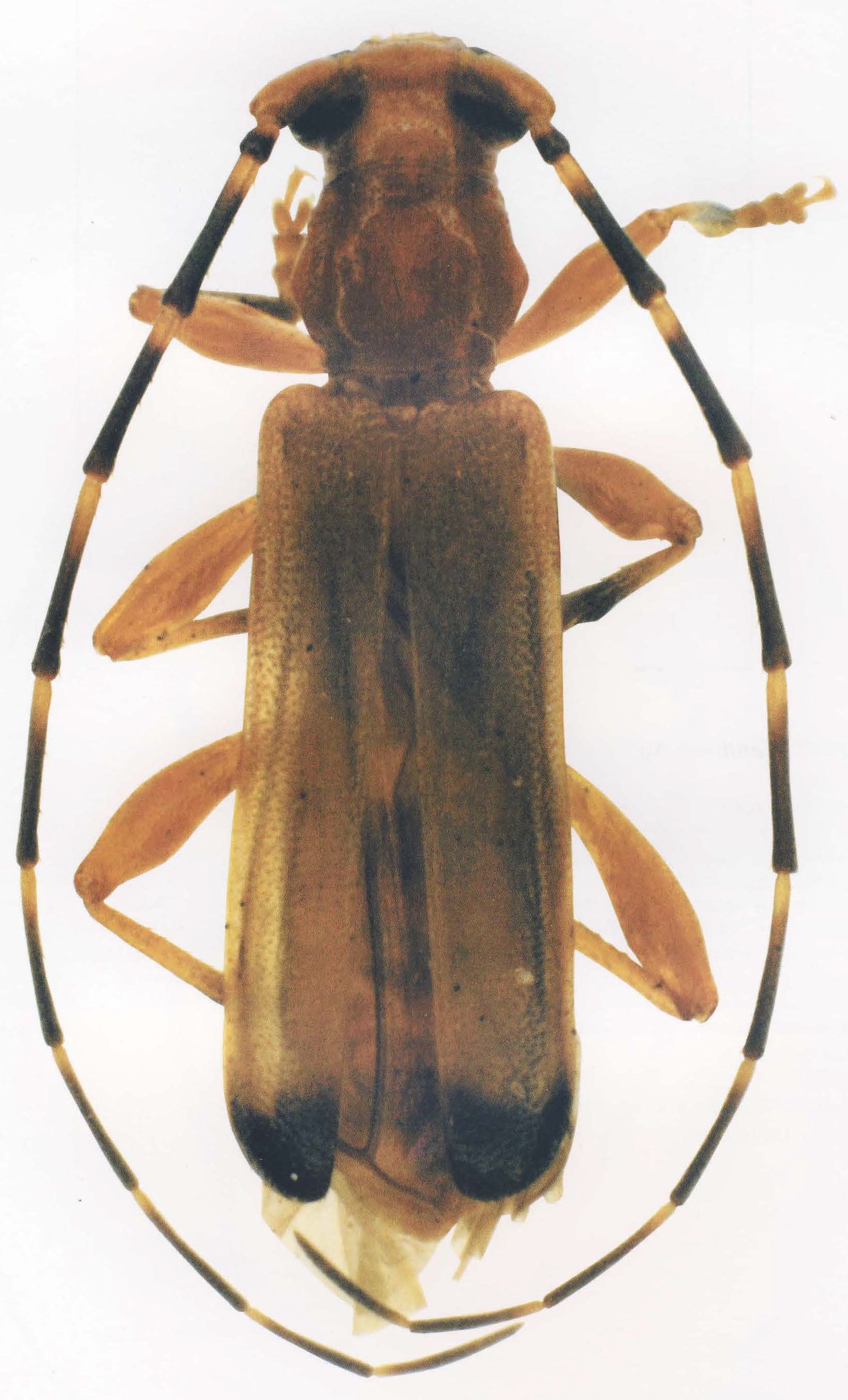
Sphagoeme bicolor Zajciw Specimen Type: holotype Sex: m Institution: MNRJ Museu Nacional Universidade do Rio Janeiro, Brazil Photographer: Steve Lingafelter Collection Location: Marília, Sao Paolo, Brazil 13314
|

Photographer: Jim Wappes Collection Location: Bolivia 13318
|

Institution: UCB Essig Museum of Entomology, Berkeley, California, USA Photographer: Larry G. Bezark 13319
|
_SA_Suppl_1.jpg)
Determiner: S American Cerambycidae Supplement 1 55590
|
 (Aurivillius) MZSP Guanay, El Beni, Bolivia SS.jpg)
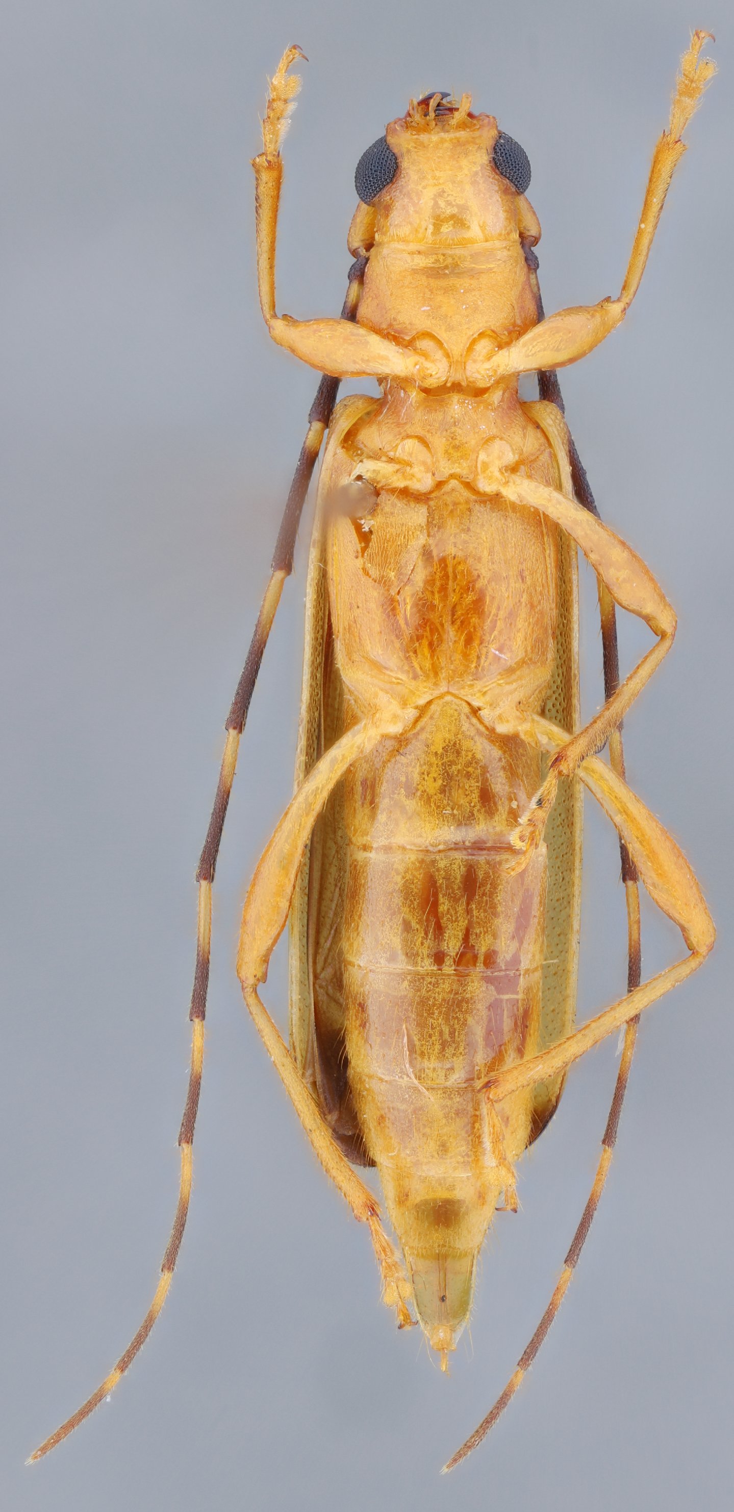
Sex: f Institution: MZSP Museu de Zoologia da Universidade de São Paulo, Brazil Photographer: Antonio Santos-Silva Collection Location: Guanay, El Beni, Bolivia 96035
|
 (Aurivillius) MZSP Guanay, El Beni, Bolivia SS.jpg)
Sex: f Institution: MZSP Museu de Zoologia da Universidade de São Paulo, Brazil Photographer: Antonio Santos-Silva Collection Location: Guanay, El Beni, Bolivia 96036
|
|