New Search Family, Subfamily and Tribe List

SubFamily Lamiinae

Tribe Acanthoderini
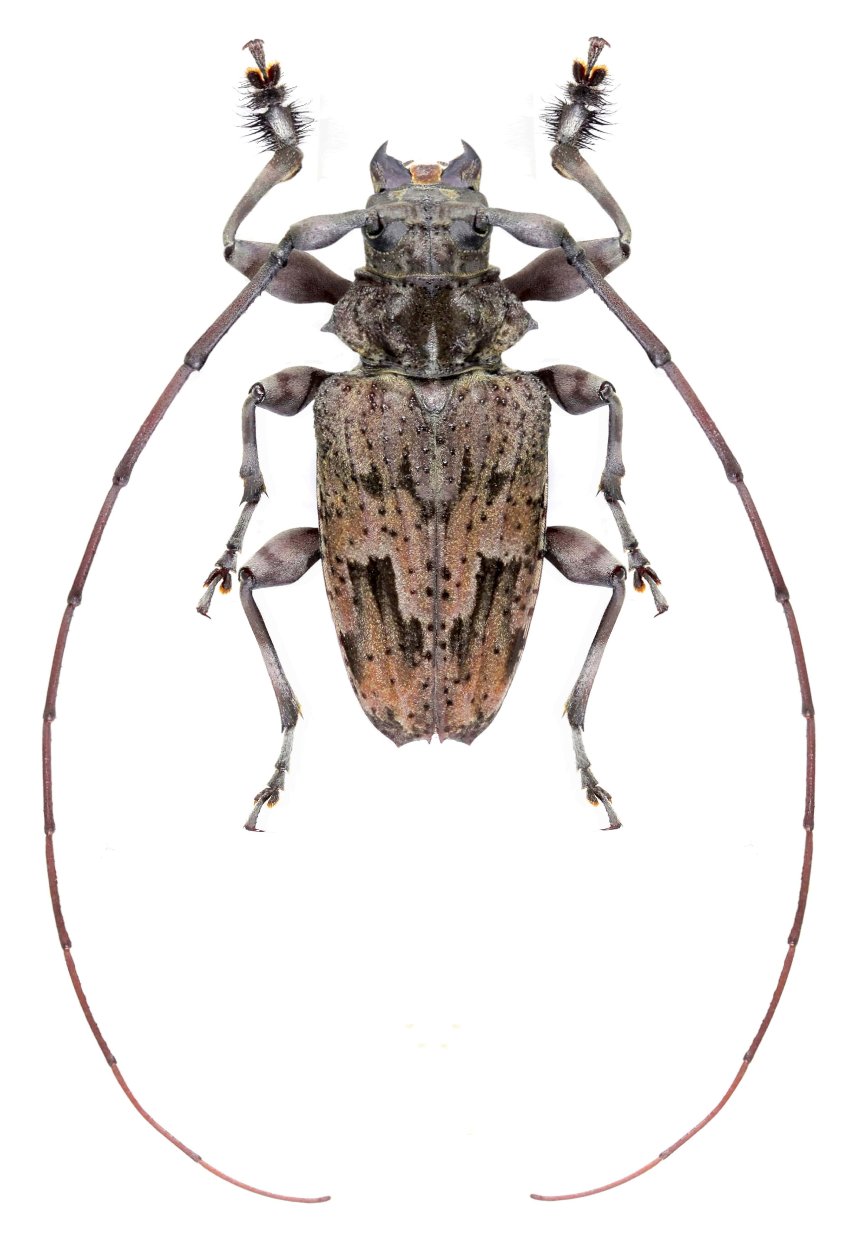
Dryoctenes scrupulosus (Germar, 1824)

Sex: m
Photographer: Frédéric Robin
Collection Location: Nouragues Nature Reserve, Regina, French Guiana
78186


Sex: f
Photographer: Frédéric Robin
Collection Location: Nouragues Nature Reserve, Regina, French Guiana
78187


6793


Photographer: Jim Wappes
Collection Location: Bolivia
6794


Photographer: Larry G. Bezark
6795

130425