_6km_NE_Paraguari_Paraguay_WHTC_LGB.jpg)
Institution: WHTC William H. Tyson Collection, Coarsegold, California, USA Photographer: Larry G. Bezark Collection Location: Hotel Gabriela, 6 km NE Paraguari, Paraguay 69809
|

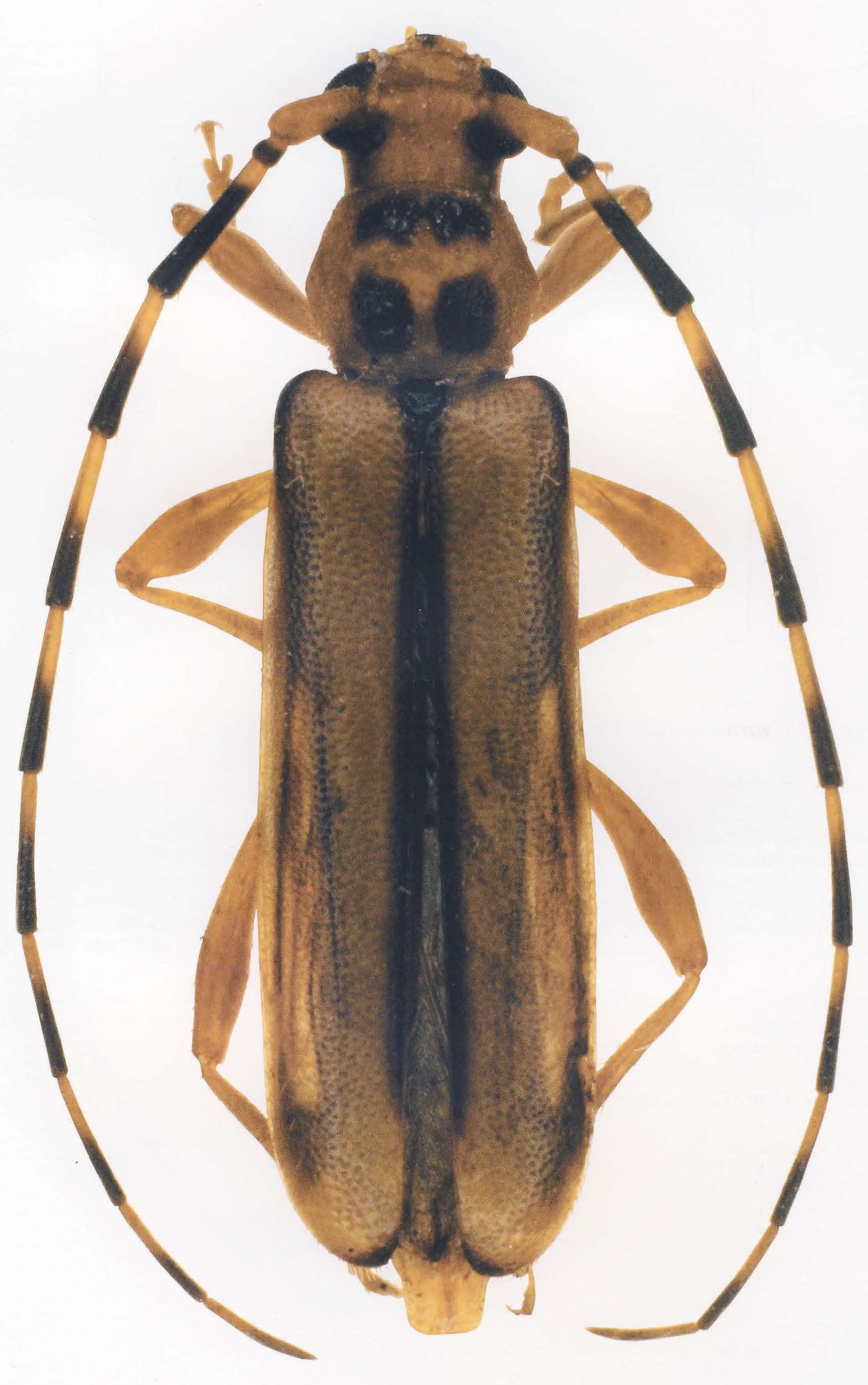
Institution: UCB Essig Museum of Entomology, Berkeley, California, USA Photographer: Larry G. Bezark 13313
|
_Jack_Norment_Camp_Paraguay_LGB.jpg)
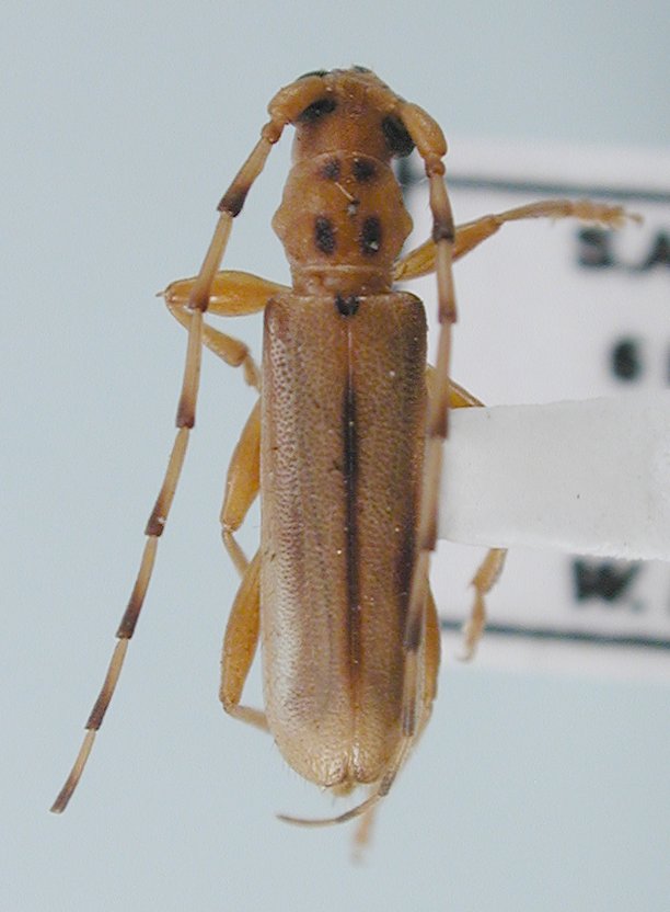
Institution: LGBC Larry G. Bezark Collection, Sacramento, California, USA Photographer: Larry G. Bezark Collection Location: Jack Norment Camp, Caacupé, Paraguay 18944
|
_(Gounelle)_Jack_Norment_Camp_Paraguay_LGB.jpg)
Institution: LGBC Larry G. Bezark Collection, Sacramento, California, USA Photographer: Larry G. Bezark Collection Location: Jack Norment Camp, Caacupé, Paraguay 18945
|

Photographer: Ole Mehl Collection Location: Department Alto Parana, Paraguay 36908
|
_SA_Suppl_1.jpg)
Determiner: S American Cerambycidae Supplement 1 55589
|
|