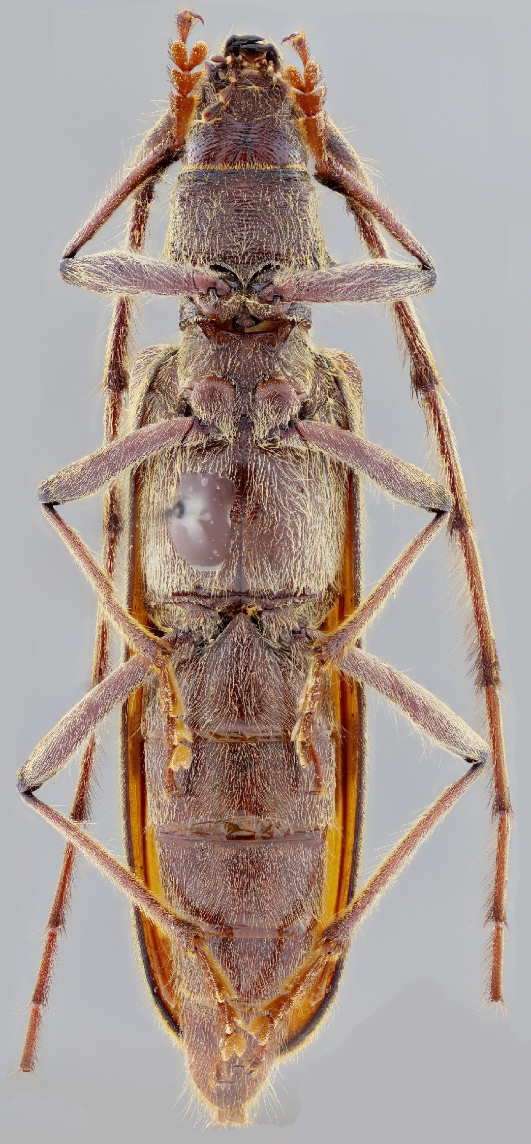
_Lane_Guatemala_USNM_SWL.jpg)
Specimen Type: holotype Sex: m Institution: NMNH United States National Museum, Washington, DC, USA Photographer: Steve Lingafelter Collection Location: Sepaicute, Alta Verapaz, Guatemala 13218
|

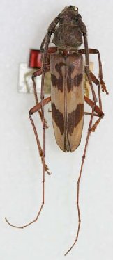
Institution: UCB Essig Museum of Entomology, Berkeley, California, USA Photographer: Larry G. Bezark Determiner: Chemsak 13219
|
 Lane MZSP Metates, Oaxaca, Mexico SS.jpg)
Sex: f Institution: MZSP Museu de Zoologia da Universidade de São Paulo, Brazil Photographer: Antonio Santos-Silva Collection Location: Metates, Oaxaca, Mexico 90526
|
 Lane MZSP Metates, Oaxaca, Mexico SS.jpg)
Sex: f Institution: MZSP Museu de Zoologia da Universidade de São Paulo, Brazil Photographer: Antonio Santos-Silva Collection Location: Metates, Oaxaca, Mexico 90527
|

Photographer: Gerard Chemin, Cerambycoidea Forum Collection Location: Jalisco, Mexico 39733
|
|