New Search Family, Subfamily and Tribe List

SubFamily Cerambycinae

Tribe Oemini
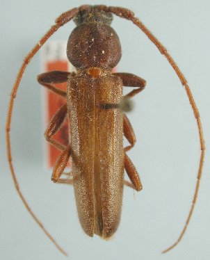
Paranoplium gracile laticolle (Linsley, 1934)

Oeme laticollis Linsley
Specimen Type: holotype
Sex: m
Institution: CAS California Academy of Sciences, San Francisco, CA, USA
Photographer: Larry G. Bezark
Collection Location: Sequoia National Park, California
23131


Photographer: Larry G. Bezark
3466

130425